Log In/Sign Up
Your email has been sent.
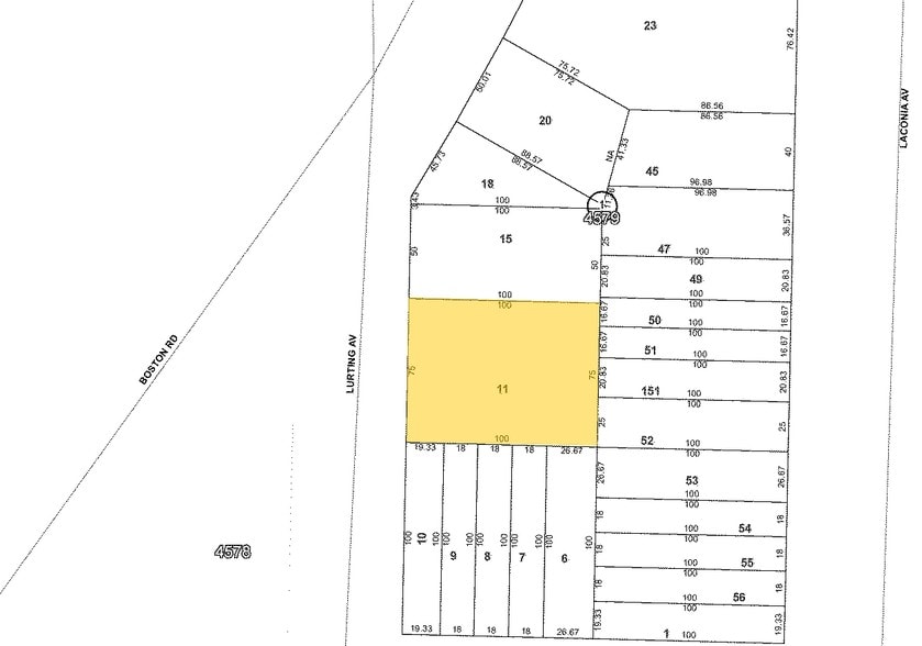
3004 Lurting Ave 2,500 SF Office Building Bronx, NY 10469 $2,462,112 CAD ($984.84 CAD/SF)



Investment Highlights
- Property is conveniently located half a mile to Bronx River Parkway, Hutchinson River Parkway, and the New England Thruway (I-95).
Executive Summary
3004 Lurting Ave is a 7500' total lot with a 3,825' building with great exposure to Boston Road. The property features 75' frontage on Lurting with exposure to Boston Road at 50' away. The property is situated on the bus line and is 10 blocks to subway (#5). Property available 60 days from contract.
Property Facts
Sale Type
Investment or Owner User
Property Type
Office
Property Subtype
Medical
Building Size
2,500 SF
Building Class
C
Year Built
1953
Price
$2,462,112 CAD
Price Per SF
$984.84 CAD
Tenancy
Single
Building Height
1 Story
Typical Floor Size
2,500 SF
Building FAR
0.33
Lot Size
0.17 AC
Zoning
C8-1 - C-8-1/R5
Parking
10 Spaces (4 Spaces per 1,000 SF Leased)
1 1
Exceptionally walkable
90/100
Somewhat drivable
30/100
Exceptional public transit
100/100
Moderately bikeable
60/100
Property Taxes
| Parcel Number | 04579-0011 | Improvements Assessment | $261,031 CAD |
| Land Assessment | $110,260 CAD | Total Assessment | $371,291 CAD |
Property Taxes
Parcel Number
04579-0011
Land Assessment
$110,260 CAD
Improvements Assessment
$261,031 CAD
Total Assessment
$371,291 CAD
1 of 4
Videos
Matterport 3D Exterior
Matterport 3D Tour
Photos
Street View
Street
Map
1 of 1
Presented by
3004 Lurting Ave
Already a member? Log In
Hmm, there seems to have been an error sending your message. Please try again.
Thanks! Your message was sent.
