Your email has been sent.
Reston Herndon Business Park Bldg 3A 301-366 Victory Dr 5,300 SF of Industrial Space Available in Herndon, VA 20170



Highlights
- The Spring Street Shops at Reston Herndon Business Park are fully leased, however space available for departing tenant.
- The business park is minutes from Tysons Corner and Dulles Airport with easy access to Herndon and Reston Town Center metro stations.
- Each space offers a separately demised and metered with new aluminum and glass store front.
- Located 1 mile to Reston Town Center with superb access from Fairfax County Parkway & Dulles Access Road (Route 267).
- This professional business park has excellent tenant growth potential and dedicated local management.
Features
All Available Space(1)
Display Rental Rate as
- Space
- Size
- Term
- Rental Rate
- Space Use
- Build-Out
- Available
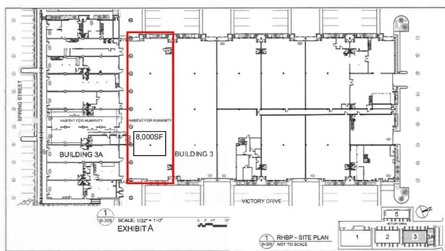
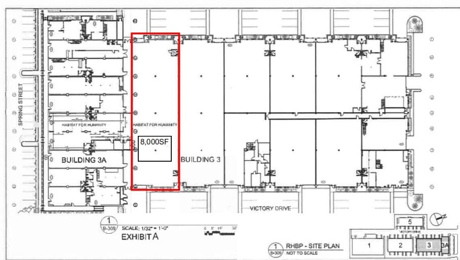
The 2 spaces in this building must be leased together, for a total size of 5,300 SF (Contiguous Area):
Mezzanine area included.
- Lease rate does not include utilities, property expenses or building services
- 1 Drive Bay
- Includes 2,300 SF of dedicated office space
| Space | Size | Term | Rental Rate | Space Use | Build-Out | Available |
| 1st Floor - 316, Mezzanine - 316 | 5,300 SF | Negotiable | $24.47 CAD/SF/YR $2.04 CAD/SF/MO $129,696 CAD/YR $10,808 CAD/MO | Industrial | Full Build-Out | Now |
1st Floor - 316, Mezzanine - 316
The 2 spaces in this building must be leased together, for a total size of 5,300 SF (Contiguous Area):
| Size |
|
1st Floor - 316 - 4,000 SF
Mezzanine - 316 - 1,300 SF
|
| Term |
| Negotiable |
| Rental Rate |
| $24.47 CAD/SF/YR $2.04 CAD/SF/MO $129,696 CAD/YR $10,808 CAD/MO |
| Space Use |
| Industrial |
| Build-Out |
| Full Build-Out |
| Available |
| Now |
1st Floor - 316, Mezzanine - 316
| Size |
1st Floor - 316 - 4,000 SF
Mezzanine - 316 - 1,300 SF
|
| Term | Negotiable |
| Rental Rate | $24.47 CAD/SF/YR |
| Space Use | Industrial |
| Build-Out | Full Build-Out |
| Available | Now |
Mezzanine area included.
- Lease rate does not include utilities, property expenses or building services
- Includes 2,300 SF of dedicated office space
- 1 Drive Bay
Property Overview
Spring Street Shops at Reston Herndon Business Park full building renovation is fully leased. This professional business park has excellent tenant growth potential and dedicated local management. The Park’s stable ownership is equipped to meet your unique requirements. An abundance of amenities on–site and nearby, as well as close proximity to the metro, make this a great opportunity in Herndon. There are an abundance of amenities within one mile, and Reston Town Center, offering more than 50 shops, 30 restaurants, an 11-screen cinema and open-air pavilion, luxury residences, and a four-diamond Hyatt Regency hotel is just a short distance away. As an added convenience, the Herndon Metro and Reston Town Center Metro stations are within close proximity.
Property Facts
Presented by
Reston Herndon Business Park Bldg 3A | 301-366 Victory Dr
Hmm, there seems to have been an error sending your message. Please try again.
Thanks! Your message was sent.

