Your email has been sent.
303 Main St 0.57 Acres of Commercial Land for Lease in Tilton, NH 03276



Highlights
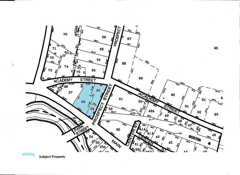
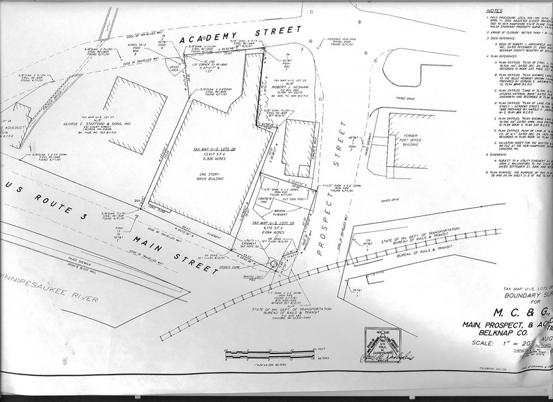
- 134 Feet frontage on West Main Street
- Approximately 185 feet frontage on Prospect Street
- Approximately 113 feet frontage on Academy Street
- 7,000+/- Sq. Ft. Masonry structure built in 1926
LOT Available
Display Rental Rate as
| Rental Rate |
|
Lot Size | 0.57 AC |
| Lease Term | Negotiable |
| Rental Rate | |
| Lease Term | Negotiable |
| Lot Size | 0.57 AC |
$100,000/ Year
Property Overview
This half acre plus lot runs through the block at a strategic location in Tilton, NH, making it an ideal location for any operations requiring a drive through or multiple drive throughs. Parcel has frontage on three roads. In excess of 16 million vehicles a year pass the property. Signalized intersection of West Main Street and Prospect Street with frontage on Academy Street. Property includes both corners on Prospect Street. This site is adjacent to an existing Stafford convenience store and across the street from the Tilton School, a nationally recognized private preparatory school. Property has two curb cuts on Prospect Street, one on Academy Street and one on Main Street. Property has two buildings, which may be removed. One building is masonry and is essentially a shell 7,000+/- sq. ft. building that has the potential for historic significance and to qualify for the 20% rehabilitation tax credit. This property is in an OPPORTUNITY ZONE as defined under the 2017 Tax Reform Act and qualifies for special and favorable IRS Income Tax treatment.
Property Facts
| Total Space Available | 0.57 AC | Property Subtype | Commercial |
| Property Type | Land | Proposed Use | Retail |
| Total Space Available | 0.57 AC |
| Property Type | Land |
| Property Subtype | Commercial |
| Proposed Use | Retail |
Presented by
303 Main St
Hmm, there seems to have been an error sending your message. Please try again.
Thanks! Your message was sent.
