Log In/Sign Up
Your email has been sent.
Executive Summary
All measurements are approximate and not guaranteed! The Seller’s information is deemed reliable but not guaranteed! All items deemed important are to be verified by the buyers and/or the buyer’s agent! All offers are to be submitted with a Pre-Approval letter or Proof Of Funds.
Property Facts
| Price | $382,819 CAD | Property Type | Land |
| Sale Type | Investment | Property Subtype | Commercial |
| No. Lots | 1 | Total Lot Size | 6.40 AC |
| Zoning | B2 - General Commercial | ||
| Price | $382,819 CAD |
| Sale Type | Investment |
| No. Lots | 1 |
| Property Type | Land |
| Property Subtype | Commercial |
| Total Lot Size | 6.40 AC |
| Zoning | B2 - General Commercial |
1 Lot Available
Lot
| Price | $382,819 CAD | Lot Size | 6.40 AC |
| Price Per AC | $59,815.50 CAD |
| Price | $382,819 CAD |
| Price Per AC | $59,815.50 CAD |
| Lot Size | 6.40 AC |
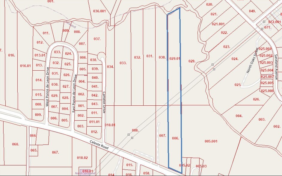
Legal Desc: PT LOT 8 BEG AT SE COR OF LOT 8 CLEVELANDS 1ST ADD TO SARALAND MBK 4 P 461 TH N 770 FT(S) TH W 150 FT(S) TH S 715 FT(S) TO N R/W CELESTE RD TH SE 159.35 FT TO POB #SEC 33 T2S R1W #MP19 08 33 0 007
Description
6.4+/- Acres on Celeste Rd. in Saraland, between Rouses and I-65. Current zoning is B2. Property includes 2 parcels. 1908330007006 & 190833000202901. All measurements are approximate and not guaranteed! The Seller’s information is deemed reliable but not guaranteed! All items deemed important are to be verified by the buyers and/or the buyer’s agent!
1 1
Fairly walkable
40/100
Exceptionally drivable
100/100
Somewhat bikeable
30/100
Property Taxes
| Parcel Number | 19-08-33-0-007-006 | Improvements Assessment | $0 CAD |
| Land Assessment | $13,314 CAD | Total Assessment | $13,314 CAD |
Property Taxes
Parcel Number
19-08-33-0-007-006
Land Assessment
$13,314 CAD
Improvements Assessment
$0 CAD
Total Assessment
$13,314 CAD
1 of 4
Videos
Matterport 3D Exterior
Matterport 3D Tour
Photos
Street View
Street
Map
1 of 1
Presented by
304 Celeste
Already a member? Log In
Hmm, there seems to have been an error sending your message. Please try again.
Thanks! Your message was sent.



