Log In/Sign Up
Your email has been sent.
3080 Hilltop Rd
Moss Landing, CA 95039
Industrial Property For Sale


Investment Highlights
- 120/208V three phase 2000A 277/480V three phase 2500A
- 0.6 miles to CA-1
- 70 ; 20-30 additional future spaces available
- 5.7 miles to Watsonville Municipal Airport
Executive Summary
Located in the center of Monterey Bay, this facility can easily service Fresno, San Jose and San Francisco markets. The facility is located next door to a Lineage Logistics and is only 0.3 miles from a bus stop with service from Salinas & Watsonville Transit Centers.
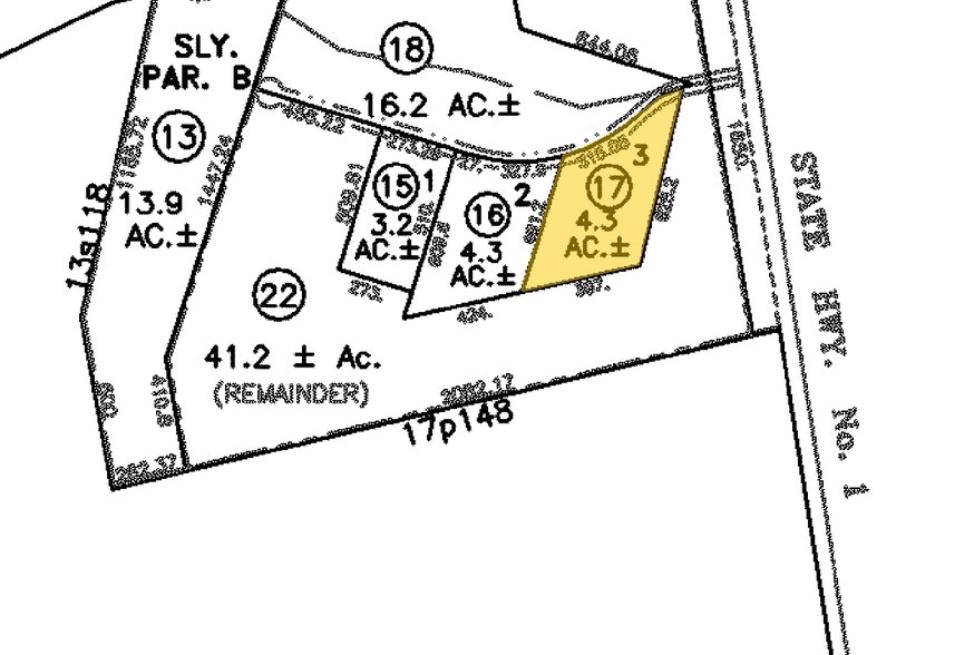
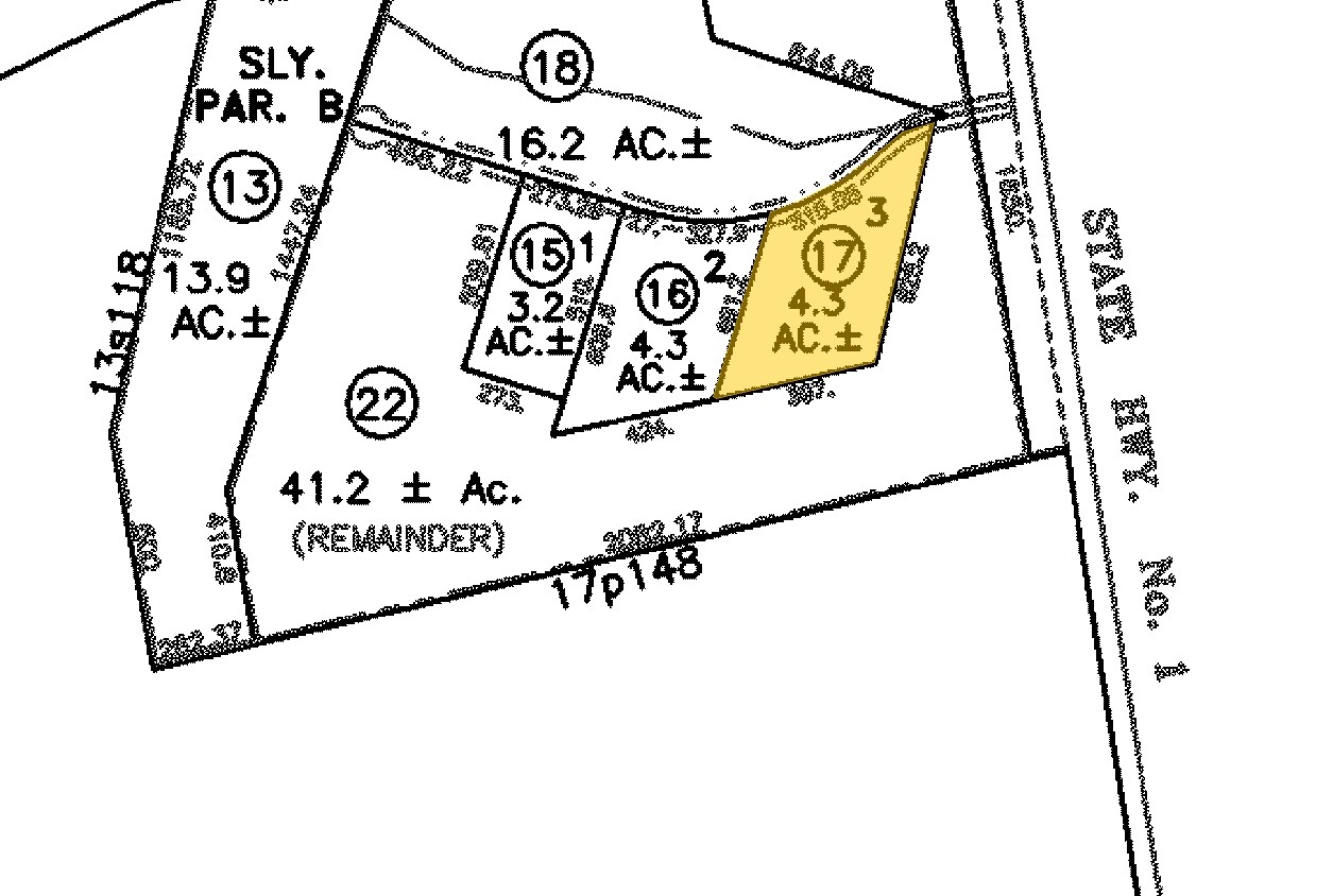
4.30-acre tract of land directly adjacent to the building ideal for building expansion, trailer parking or outside storage.
4.30-acre tract of land directly adjacent to the building ideal for building expansion, trailer parking or outside storage.
Property Facts
| Sale Type | Investment NNN | No. Stories | 1 |
| Property Type | Industrial | Year Built | 2004 |
| Property Subtype | Refrigeration/Cold Storage | Tenancy | Single |
| Building Class | A | Parking Ratio | 1.73/1,000 SF |
| Lot Size | 8.60 AC | Clear Ceiling Height | 32’7” |
| Rentable Building Area | 40,466 SF | No. Dock-High Doors/Loading | 3 |
| Zoning | IN - Industrial in Monterey County | ||
| Sale Type | Investment NNN |
| Property Type | Industrial |
| Property Subtype | Refrigeration/Cold Storage |
| Building Class | A |
| Lot Size | 8.60 AC |
| Rentable Building Area | 40,466 SF |
| No. Stories | 1 |
| Year Built | 2004 |
| Tenancy | Single |
| Parking Ratio | 1.73/1,000 SF |
| Clear Ceiling Height | 32’7” |
| No. Dock-High Doors/Loading | 3 |
| Zoning | IN - Industrial in Monterey County |
Amenities
- Cooler
- Storage Space
- Air Conditioning
Property Taxes
| Parcel Number | 117-052-017-000 | Improvements Assessment | $4,657,395 CAD |
| Land Assessment | $3,104,929 CAD | Total Assessment | $7,762,324 CAD |
Property Taxes
Parcel Number
117-052-017-000
Land Assessment
$3,104,929 CAD
Improvements Assessment
$4,657,395 CAD
Total Assessment
$7,762,324 CAD
1 of 10
Videos
Matterport 3D Exterior
Matterport 3D Tour
Photos
Street View
Street
Map
