Log In/Sign Up
Your email has been sent.
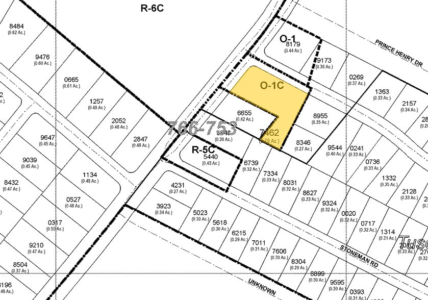
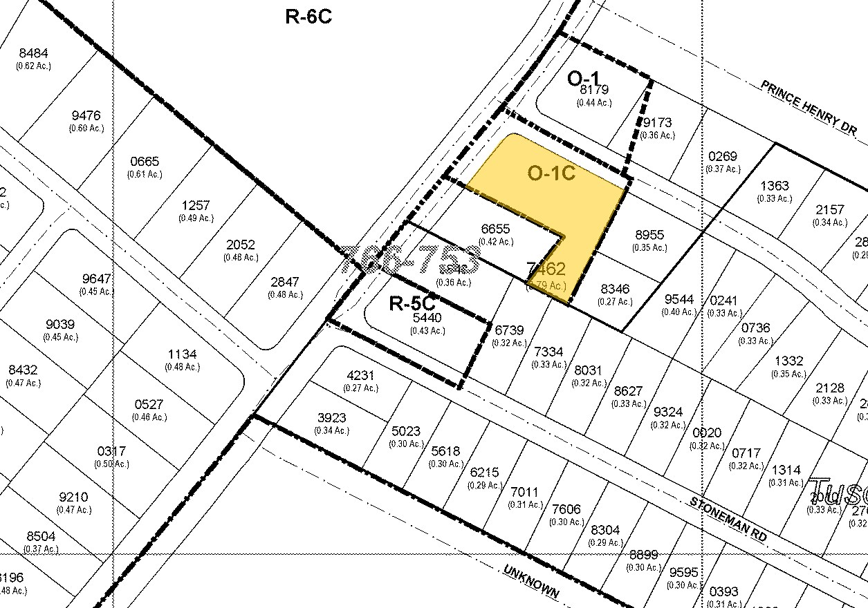
3107 Hungary Spring Rd
Richmond, VA 23228
Henrico County office bldg · Office/Medical Property For Lease
·
5,300 SF


Property Facts
| Total Space Available | 5,300 SF | Gross Leasable Area | 5,300 SF |
| Property Type | Retail | Year Built | 2008 |
| Property Subtype | Freestanding |
| Total Space Available | 5,300 SF |
| Property Type | Retail |
| Property Subtype | Freestanding |
| Gross Leasable Area | 5,300 SF |
| Year Built | 2008 |
1 of 5
Videos
Matterport 3D Exterior
Matterport 3D Tour
Photos
Street View
Street
Map
