Log In/Sign Up
Your email has been sent.
Redevelopment Opportunity 3108 Douglas Ave 11,316 SF Retail Building Racine, WI 53402 $1,235,389 CAD ($109.17 CAD/SF)



INVESTMENT HIGHLIGHTS
- Great Redevelopment Opportunity!
- 229' of frontage on Douglas Ave
EXECUTIVE SUMMARY
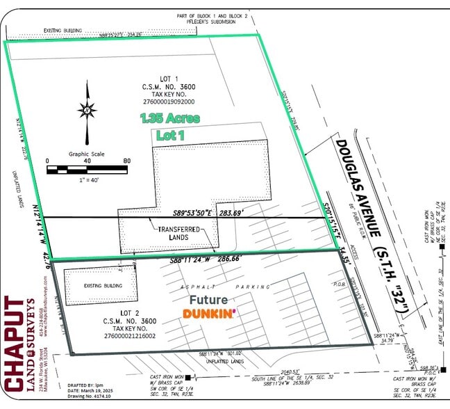
Great former automotive repair facility for sale with possibility of redevelopment site. Space has multiple drive-in doors and great utilities. The property is situated in between Aldi and a future Dunkin'. Adjacent parcel sold for future Dunkin!
+Address: 3108 Douglas Ave, Racine, WI 53402 (Lot 1 of CSM)
+Price: $885,000
+Building Size: 11,316 sq. ft.
+Lot Size: 1.35 acre
+Dimensions: 229.85’ x 254’
+Access: (2) curbs cuts currently
+Zoning: B-2 Community Shopping District
+Address: 3108 Douglas Ave, Racine, WI 53402 (Lot 1 of CSM)
+Price: $885,000
+Building Size: 11,316 sq. ft.
+Lot Size: 1.35 acre
+Dimensions: 229.85’ x 254’
+Access: (2) curbs cuts currently
+Zoning: B-2 Community Shopping District
PROPERTY FACTS
Sale Type
Investment or Owner User
Sale Condition
Redevelopment Project
Property Type
Retail
Building Size
11,316 SF
Building Class
C
Year Built
1950
Price
$1,235,389 CAD
Price Per SF
$109.17 CAD
Tenancy
Single
Building Height
1 Story
Building FAR
0.19
Lot Size
1.35 AC
Zoning
B2 - Community Shopping District
Frontage
63’ on Douglas Ave
AMENITIES
- Bus Line
- Pylon Sign
NEARBY MAJOR RETAILERS
PROPERTY TAXES
| Parcel Number | 276-000019092000 | Improvements Assessment | $275,921 CAD |
| Land Assessment | $154,324 CAD | Total Assessment | $430,245 CAD |
PROPERTY TAXES
Parcel Number
276-000019092000
Land Assessment
$154,324 CAD
Improvements Assessment
$275,921 CAD
Total Assessment
$430,245 CAD
1 of 4
VIDEOS
MATTERPORT 3D EXTERIOR
MATTERPORT 3D TOUR
PHOTOS
STREET VIEW
STREET
MAP
Presented by
Redevelopment Opportunity | 3108 Douglas Ave
Already a member? Log In
Hmm, there seems to have been an error sending your message. Please try again.
Thanks! Your message was sent.

