Log In/Sign Up
Your email has been sent.
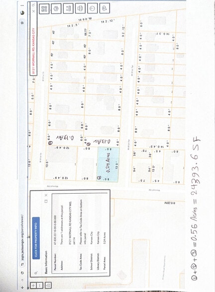
311 W 81st St 0.19 Acres of Commercial Land Offered at $207,675 CAD in Kansas City, MO 64114



PROPERTY FACTS
| Price | $207,675 CAD | Property Type | Land |
| Sale Type | Investment or Owner User | Property Subtype | Commercial |
| No. Lots | 1 | Total Lot Size | 0.19 AC |
| Price | $207,675 CAD |
| Sale Type | Investment or Owner User |
| No. Lots | 1 |
| Property Type | Land |
| Property Subtype | Commercial |
| Total Lot Size | 0.19 AC |
1 LOT AVAILABLE
Lot
| Price | $207,675 CAD | Lot Size | 0.19 AC |
| Price Per AC | $1,076,036.29 CAD |
| Price | $207,675 CAD |
| Price Per AC | $1,076,036.29 CAD |
| Lot Size | 0.19 AC |
1 1
Walk Score®
Very Walkable (73)
PROPERTY TAXES
| Parcel Number | 47-830-22-07-00-0-00-000 | Improvements Assessment | $0 CAD |
| Land Assessment | $12,004 CAD | Total Assessment | $12,004 CAD |
PROPERTY TAXES
Parcel Number
47-830-22-07-00-0-00-000
Land Assessment
$12,004 CAD
Improvements Assessment
$0 CAD
Total Assessment
$12,004 CAD
1 of 4
VIDEOS
MATTERPORT 3D EXTERIOR
MATTERPORT 3D TOUR
PHOTOS
STREET VIEW
STREET
MAP
1 of 1
Presented by
311 W 81st St
Already a member? Log In
Hmm, there seems to have been an error sending your message. Please try again.
Thanks! Your message was sent.
