Log In/Sign Up
Your email has been sent.
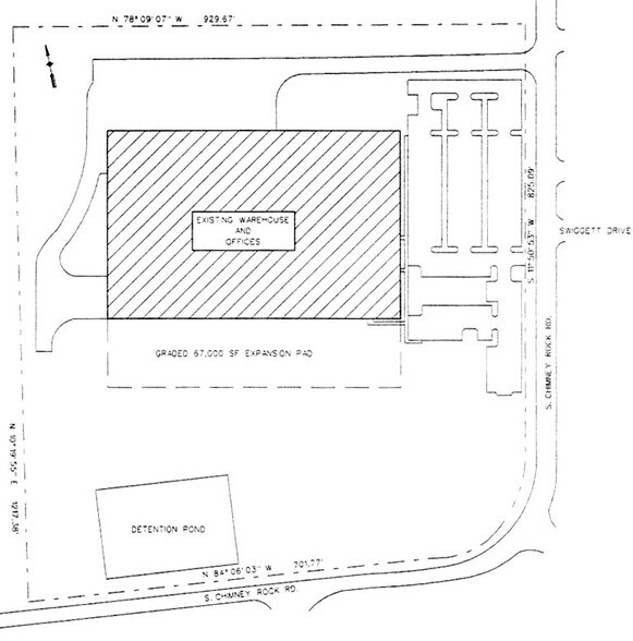
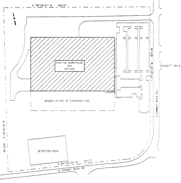
314 S Chimney Rock Rd
Greensboro, NC 27409
Former Liberty Hardware Facility · Industrial Property For Lease
·
190,648 SF


Highlights
- Expansion capability to add ±66,000 SF if cross-docked
- ±17,000 SF Office Space
- Clear Height: Approximately 26'
- 480/277 volt 1200 amps
Features
Clear Height
26’
Column Spacing
47’ x 52’
Drive In Bays
1
Levelers
19
Standard Parking Spaces
250
Property Overview
± 190,648 Total SF of heavily industrial zoned space with ±17,000 SF Office Space and large truck court.
Distribution Facility Facts
Building Size
190,648 SF
Lot Size
20.56 AC
Year Built
1995
Water
City Water
Sewer
City Sewer
Heating
Gas
Gas
Natural
Power Supply
Amps: 1,200 Phase: 3
Zoning
HI - Heavy Industrial
1 of 3
Videos
Matterport 3D Exterior
Matterport 3D Tour
Photos
Street View
Street
Map
