Your email has been sent.
32 Guinea Hall Lane 6.8 Acres of Residential Land in Southport PR9 8BT



Investment Highlights
- Freehold Development Site with potential for residential use, subject to planning.
Executive Summary
Property Facts
| Sale Type | Investment | Property Type | Land |
| Tenure | Freehold | Property Subtype | Residential |
| No. Lots | 1 | Total Lot Size | 6.80 AC |
| Sale Type | Investment |
| Tenure | Freehold |
| No. Lots | 1 |
| Property Type | Land |
| Property Subtype | Residential |
| Total Lot Size | 6.80 AC |
1 Lot Available
Lot
| Lot Size | 6.80 AC |
| Lot Size | 6.80 AC |
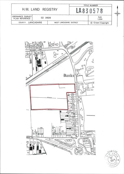
Situated on the western side of Guinea Hall Lane, the land comprises approximately 6.8 acres (2.75 hectares) and is presently used as pastureland. The site has frontage of about 48 metres to Guinea Hall Lane and is largely rectangular in shape.
Description
The land is situated approximately 4 miles northeast of Southport in Banks, a small coastal village in West Lancashire. Access is provided via Guinea Hall Lane which in turn connects to the A565 Southport New Road 500 yards to the south linking to Southport town centre and eastwards to other villages and towns in the county. The nearest railway station is situated at Meols Cop on the east of Southport connecting to Manchester via Wigan with services operated by both Northern and Merseyrail.
Presented by
32 Guinea Hall Lane
Hmm, there seems to have been an error sending your message. Please try again.
Thanks! Your message was sent.
