Log In/Sign Up
Your email has been sent.
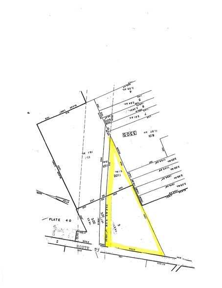
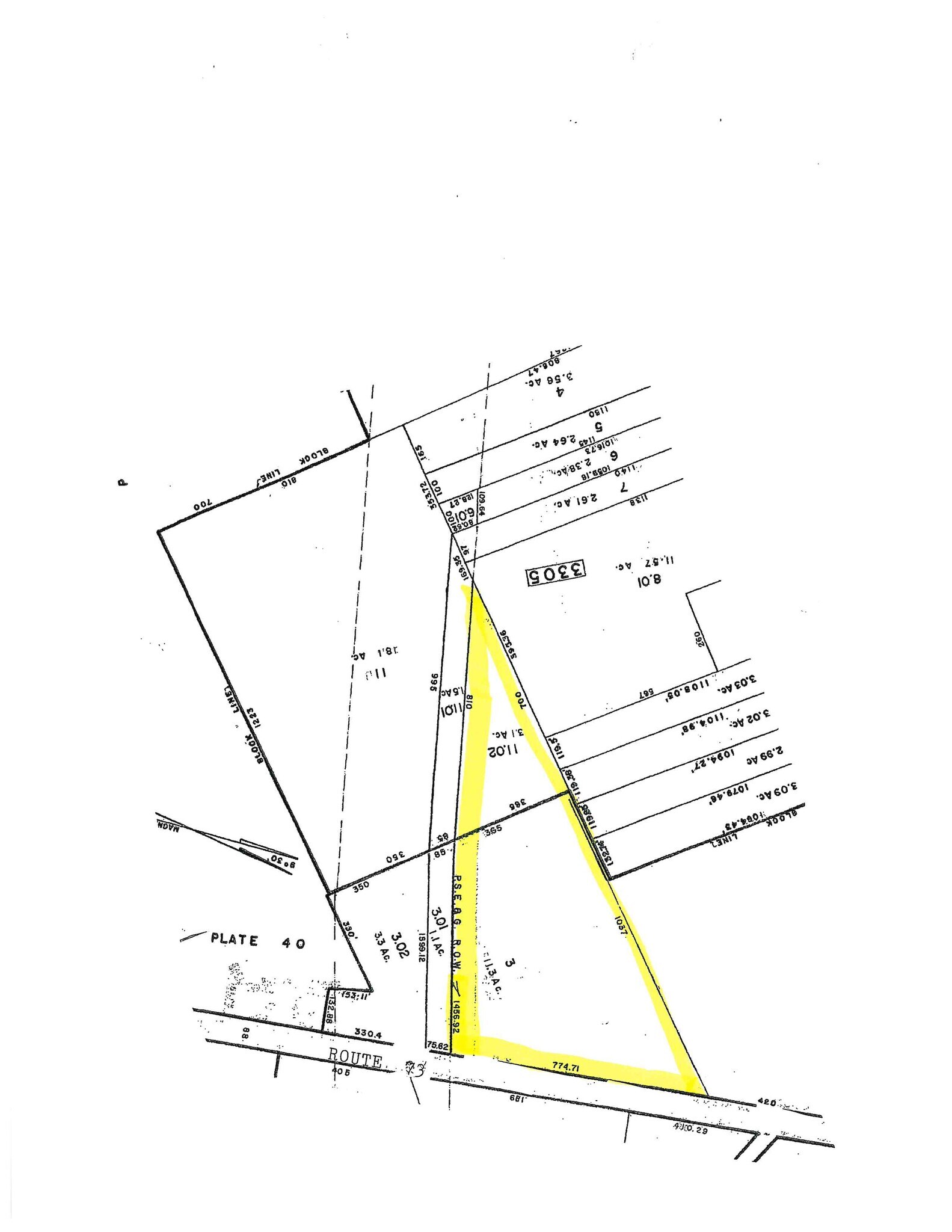
3203-3 Route 73
Berlin, NJ 08009
Land For Sale
·
14.00 AC

Investment Highlights
- Heavy Traffic
Executive Summary
14 Acres of prime Land on Route 73-Over 774 ft Frontage on Route 73, Public Sewer and Water. Zoned Industrial/Commercial. Located next to new Binder Machinery. Great Potential for Industrial Park or Commercial Retail. Located just outside of Berlin, the next Area to Boom. Winslow Township has many tax breaks for New Construction, Commercial/Industrial Developments including Tax Abatements. Do part Commercial, part Industrial, all Commercial or all Industrial.
Property Facts
| Sale Type | Investment or Owner User | Property Subtype | Commercial |
| No. Lots | 1 | Total Lot Size | 14.00 AC |
| Property Type | Land | Cross Streets | Norcross |
| Zoning | PI1 | ||
| Sale Type | Investment or Owner User |
| No. Lots | 1 |
| Property Type | Land |
| Property Subtype | Commercial |
| Total Lot Size | 14.00 AC |
| Cross Streets | Norcross |
| Zoning | PI1 |
1 Lot Available
Lot
| Price | $1,945,580 CAD | Lot Size | 14.00 AC |
| Price Per AC | $138,970.01 CAD |
| Price | $1,945,580 CAD |
| Price Per AC | $138,970.01 CAD |
| Lot Size | 14.00 AC |
South Route 73, Next to Komatsu
Property Taxes
| Parcel Number | 36-05006-0000-00004 | Improvements Assessment | $103,029 CAD |
| Land Assessment | $113,469 CAD | Total Assessment | $216,498 CAD |
Property Taxes
Parcel Number
36-05006-0000-00004
Land Assessment
$113,469 CAD
Improvements Assessment
$103,029 CAD
Total Assessment
$216,498 CAD
1 of 2
Videos
Matterport 3D Exterior
Matterport 3D Tour
Photos
Street View
Street
Map
