Log In/Sign Up
Your email has been sent.
3234 Central West Dr
Toledo, OH 43617
3234 & 3236 Central Park West Drive · Land For Sale
·
0.90 AC


Investment Highlights
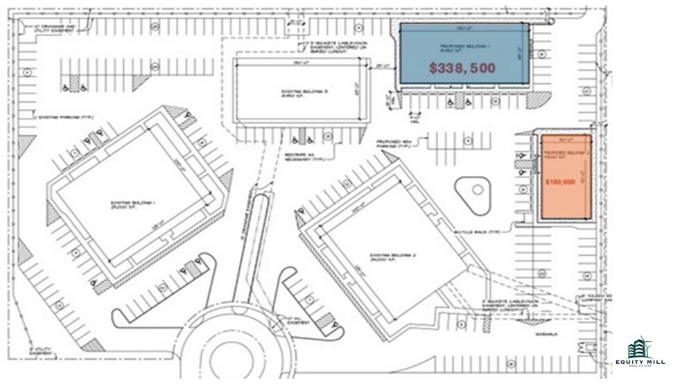
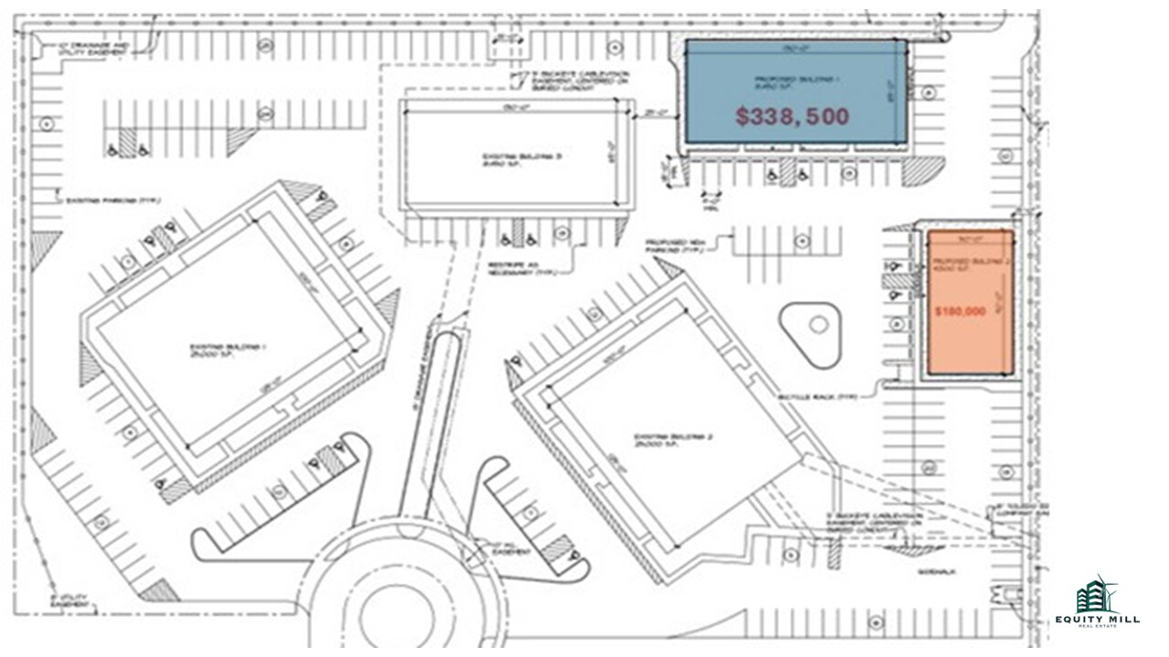
- Office Condo Lots for Sale
- 3236 Central Park West- $180,000; up to 4,500 SF
- 3234 Central park West- $388,500; up to 8,450 SF
Executive Summary
Office Condo Lots for Sale in Sylvania Township. 3234 & 3236 Central Park West are office pads with the ability to construct up to 8,450 SF on 3426 Central Park West and up to 4,500 SF on 3426 Central Park West. Price for 3234 Central Park West is $388,500 and the price for 3236 Central Park West is $180,000.00.
Utilities on site. Pads are currently flat grass lots.
Utilities on site. Pads are currently flat grass lots.
Property Facts
1 Lot Available
Lot North
| Price | $531,351 CAD | Lot Size | 0.90 AC |
| Price Per AC | $590,390.49 CAD |
| Price | $531,351 CAD |
| Price Per AC | $590,390.49 CAD |
| Lot Size | 0.90 AC |
3234 & 3236 Central Park West are office pads with the ability to construct up to 8,450 SF on 3426 Central Park West and up to 4,500 SF on 3426 Central Park West. Price for 3234 Central Park West is $388,500; 3236 Central Park West: $180,0000.00
Property Taxes
| Parcel Number | 79-74701 | Improvements Assessment | $193,246 CAD |
| Land Assessment | $18,505 CAD | Total Assessment | $211,750 CAD |
Property Taxes
Parcel Number
79-74701
Land Assessment
$18,505 CAD
Improvements Assessment
$193,246 CAD
Total Assessment
$211,750 CAD
1 of 5
Videos
Matterport 3D Exterior
Matterport 3D Tour
Photos
Street View
Street
Map
