Log In/Sign Up
Your email has been sent.
3271 Liberty Rd
Galt, CA 95632
Land For Sale
·
2.95 AC

Investment Highlights
- Approved for gas, commercial diesel, and a drive-thru
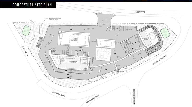
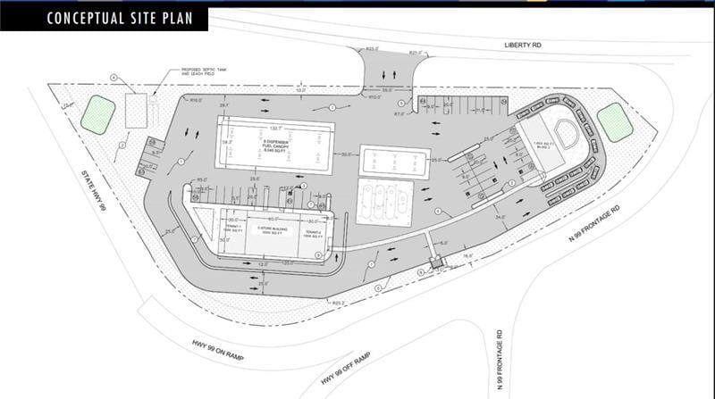
Executive Summary
Highway Commercial Land for sale.
» Size: ±2.95AC (±128,502SF)
» General Plan Zoning: Freeway Service Commercial (C/FS)
» Adjacent to Hwy 99
» Fully Entitled for:
» ±6,000SF building with drive-thru
» 8 MPD canopy for auto fueling
» 3 MPD canopy for commercial fueling
» ±1,600SF stand alone drive-thru
» Approved septic and well
» Gas & electric are in the street
» Highway pylon signage
» Site to be delivered with plans and shovel ready
» Size: ±2.95AC (±128,502SF)
» General Plan Zoning: Freeway Service Commercial (C/FS)
» Adjacent to Hwy 99
» Fully Entitled for:
» ±6,000SF building with drive-thru
» 8 MPD canopy for auto fueling
» 3 MPD canopy for commercial fueling
» ±1,600SF stand alone drive-thru
» Approved septic and well
» Gas & electric are in the street
» Highway pylon signage
» Site to be delivered with plans and shovel ready
Property Facts
1 Lot Available
Lot
| Price | $4,103,040 CAD | Lot Size | 2.95 AC |
| Price Per AC | $1,390,860.97 CAD |
| Price | $4,103,040 CAD |
| Price Per AC | $1,390,860.97 CAD |
| Lot Size | 2.95 AC |
Site to be delivered with plans and shovel ready.
1 of 2
Videos
Matterport 3D Exterior
Matterport 3D Tour
Photos
Street View
Street
Map
