Log In/Sign Up
Your email has been sent.
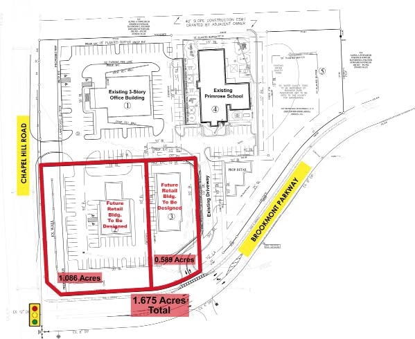
3400 Chapel Hill Rd
Douglasville, GA 30135
Highway 166 and Chapel Hill · Land For Sale
·
4.70 AC


Investment Highlights
- On-site utilities available
- Zoned CG, Commercial Unincorp. Douglas County
- There are 20,700 vehicles per day on Chapel Hill Road, north of the site.
Executive Summary
Priced at $995,000 ($594,030±/ac)
Property Facts
1 Lot Available
Lot
| Price | $1,369,647 CAD | Lot Size | 4.70 AC |
| Price Per AC | $291,414.34 CAD |
| Price | $1,369,647 CAD |
| Price Per AC | $291,414.34 CAD |
| Lot Size | 4.70 AC |
Lighted Intersection Corner Lot
Property Taxes
| Parcel Numbers | Improvements Assessment | $1,753,369 CAD | |
| Land Assessment | $290,283 CAD | Total Assessment | $2,043,652 CAD |
Property Taxes
Parcel Numbers
Land Assessment
$290,283 CAD
Improvements Assessment
$1,753,369 CAD
Total Assessment
$2,043,652 CAD
1 of 3
Videos
Matterport 3D Exterior
Matterport 3D Tour
Photos
Street View
Street
Map
