Log In/Sign Up
Your email has been sent.
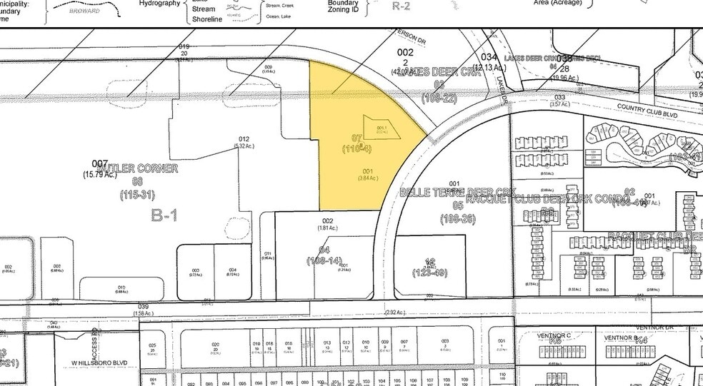
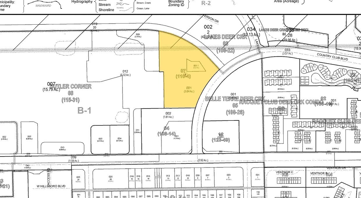
3401 Deer Creek Country Club Blvd
Deerfield Beach, FL 33442
Land For Lease


Highlights
- OUTPARCEL TO SUPER TARGET SHOPPING CENTER
- HILLSBORO BLVD and POWERLINE RD CORNER
- Good for- ANIMAL HOSPITAL, GYM, DAYCARE, PUBLIC STORAGE, MEDICAL-DENTAL, REHAB, SPORTS, DOLLAR STORE, AUTO, RESTAURANT,
- Salon, HOME FURNISHINGS, FLOORING, LIGHTING, FURNITURE, MARKET, FOOD, AFTER SCHOOL, CAMP, ETC
Property Facts
| Total Space Available | 0.34 AC | Property Subtype | Commercial |
| Property Type | Land | Proposed Use | Commercial |
| Total Space Available | 0.34 AC |
| Property Type | Land |
| Property Subtype | Commercial |
| Proposed Use | Commercial |
1 of 3
Videos
Matterport 3D Exterior
Matterport 3D Tour
Photos
Street View
Street
Map
