Log In/Sign Up
Your email has been sent.
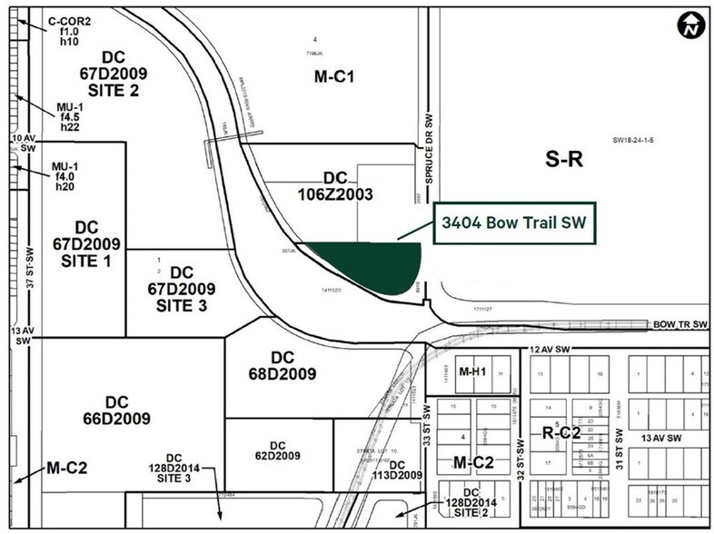
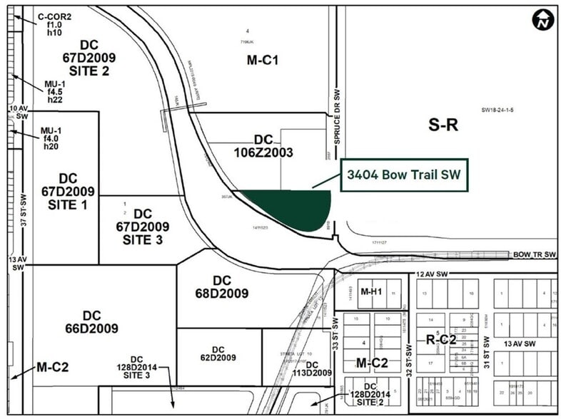
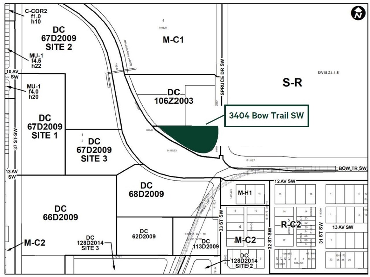
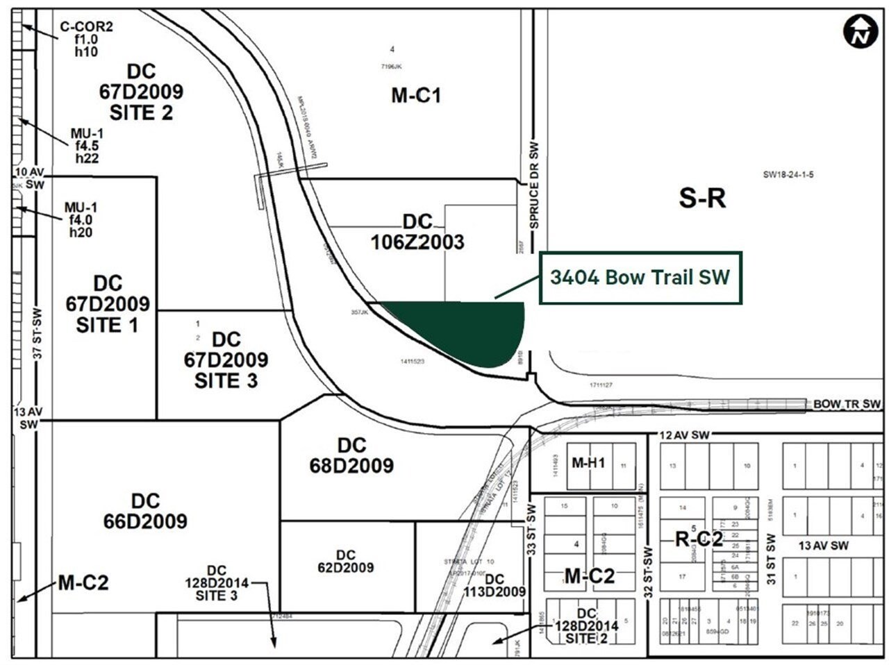
3404 Bow Trl SW
Calgary, AB T3C 2E6
Land For Sale
·
0.92 AC


Investment Highlights
- Prominent frontage along Bow Trail offering exceptional visibility and exposure to high traffic volumes.
- Located within the established Spruce Cliff neighborhood, surrounded by residential density and local amenities.
- Convenient access to downtown Calgary and major transportation routes, enhancing connectivity.
Executive Summary
This 0.92-acre parcel at 3404 Bow Trail SW presents a rare opportunity for investors and developers in Calgary’s Spruce Cliff community. Positioned along one of the city’s most visible and highly trafficked corridors, the site offers exceptional exposure and accessibility for future commercial development. Its location along Bow Trail ensures strong connectivity to downtown Calgary and surrounding neighborhoods, making it an attractive option for retail, office, or mixed-use projects.
Property Facts Under Contract
| Sale Type | Investment or Owner User | Property Subtype | Commercial |
| No. Lots | 1 | Proposed Use | |
| Property Type | Land | Total Lot Size | 0.92 AC |
| Zoning | C-N2 - Commercial Neighborhood 2 District | ||
| Sale Type | Investment or Owner User |
| No. Lots | 1 |
| Property Type | Land |
| Property Subtype | Commercial |
| Proposed Use | |
| Total Lot Size | 0.92 AC |
| Zoning | C-N2 - Commercial Neighborhood 2 District |
1 Lot Available
Lot
| Lot Size | 0.92 AC |
| Lot Size | 0.92 AC |
.92 acres of raw land located on a highly trafficked intersection. Ideal for commercial development.
Description
The property is zoned for commercial use (C-N2), providing flexibility for a range of development concepts. With its proximity to major roadways, public transit, and established residential areas, the site benefits from consistent traffic flow and a built-in customer base. This offering is well-suited for owner-users seeking a signature location or investors looking to capitalize on Calgary’s continued urban growth and redevelopment trends.
1 of 3
Videos
Matterport 3D Exterior
Matterport 3D Tour
Photos
Street View
Street
Map
