Log In/Sign Up
Your email has been sent.
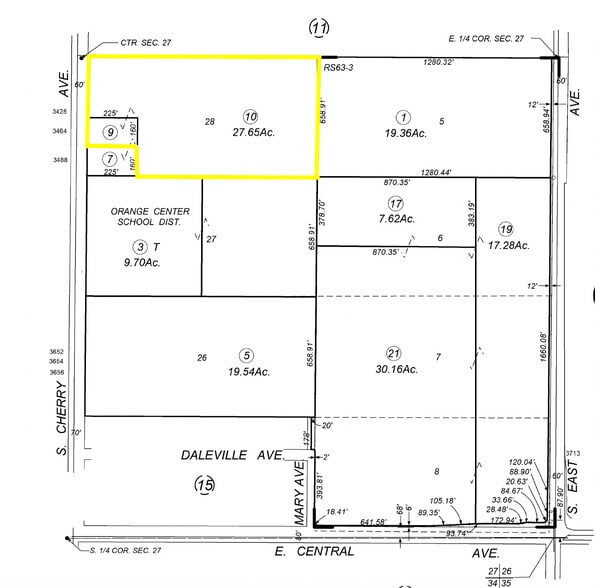
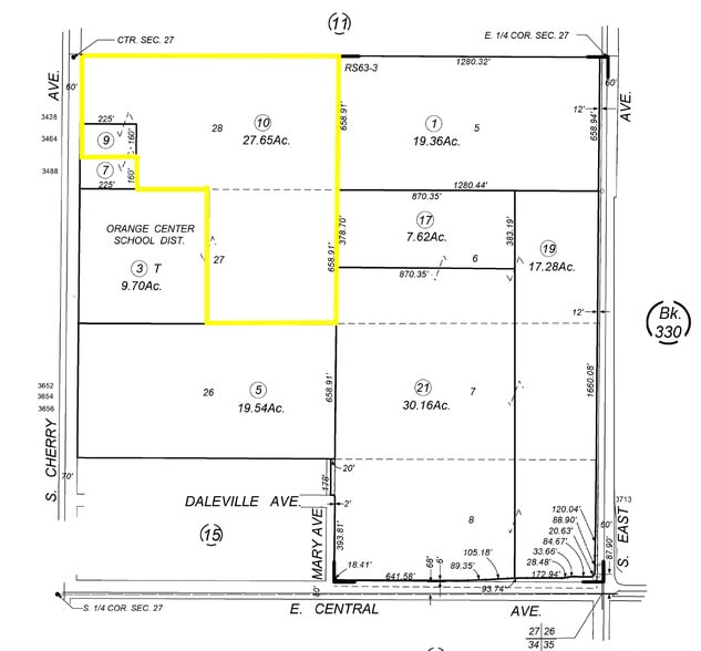
3428 S Cherry Ave - 27.65 Acres Near Freeways 41 & 99 27.65 Acres of Industrial Land in Fresno, CA 93706



Investment Highlights
- IL Zoning Industrial Light (Proposed)
- 2 miles from Highway 99, .75 miles from Freeway 41
- ±27.65 Acres
Property Facts
| Sale Type | Investment | Property Subtype | Industrial |
| No. Lots | 1 | Total Lot Size | 27.65 AC |
| Property Type | Land | Opportunity Zone |
Yes
|
| Zoning | IL | ||
| Sale Type | Investment |
| No. Lots | 1 |
| Property Type | Land |
| Property Subtype | Industrial |
| Total Lot Size | 27.65 AC |
| Opportunity Zone |
Yes |
| Zoning | IL |
1 Lot Available
Lot
| Lot Size | 27.65 AC |
| Lot Size | 27.65 AC |
Description
The property is located in unincorporated Fresno County, within the City of Fresno’s Sphere of Influence. Its current zoning is AE- 20 (Agricultural) under Fresno County jurisdiction. However, the City of Fresno’s General Plan designates the site for Light Industrial use. Due to the presence of a school on the adjoining property, future development will likely be limited to lighter uses compatible with sensitive neighboring uses.
1 1
Property Taxes
| Parcel Number | 329-130-10 | Improvements Assessment | $418,819 CAD |
| Land Assessment | $188,733 CAD | Total Assessment | $607,552 CAD |
Property Taxes
Parcel Number
329-130-10
Land Assessment
$188,733 CAD
Improvements Assessment
$418,819 CAD
Total Assessment
$607,552 CAD
1 of 5
Videos
Matterport 3D Exterior
Matterport 3D Tour
Photos
Street View
Street
Map
1 of 1
Presented by
3428 S Cherry Ave - 27.65 Acres Near Freeways 41 & 99
Already a member? Log In
Hmm, there seems to have been an error sending your message. Please try again.
Thanks! Your message was sent.
