Your email has been sent.
35-73 Liberty Ave 1,366 - 3,339 SF of Retail Space Available in Hartford, WI 53027



Highlights
- Prime retail opportunity at The Shoppes at Hartford, a well-located neighborhood shopping center.
- Shadow-anchored by Walmart, driving consistent daily traffic and strong consumer draw.
- Ample on-site parking with 66 surface stalls for customers and employees.
- 1,366–1,973 SF available, offering both inline and endcap configurations.
- Excellent visibility and access along W Summer Street with approximately 13,900 VPD.
- Strong surrounding demographics, including high household incomes and a solid workforce base.
Space Availability (2)
Display Rental Rate as
- Space
- Size
- Term
- Rental Rate
- Rent Type
| Space | Size | Term | Rental Rate | Rent Type | ||
| 1st Floor | 1,366 SF | Negotiable | Upon Request Upon Request Upon Request Upon Request | Triple Net (NNN) | ||
| 1st Floor | 1,973 SF | Negotiable | Upon Request Upon Request Upon Request Upon Request | Triple Net (NNN) |
1st Floor
Please contract broker for lease rate and more information.
- Lease rate does not include utilities, property expenses or building services
- Located in-line with other retail
- Ample parking
1st Floor
Please contract broker for lease rate and more information.
- Lease rate does not include utilities, property expenses or building services
- Highly Desirable End Cap Space
- Ample parking
Rent Types
The rent amount and type that the tenant (lessee) will be responsible to pay to the landlord (lessor) throughout the lease term is negotiated prior to both parties signing a lease agreement. The rent type will vary depending upon the services provided. For example, triple net rents are typically lower than full service rents due to additional expenses the tenant is required to pay in addition to the base rent. Contact the listing broker for a full understanding of any associated costs or additional expenses for each rent type.
1. Full Service: A rental rate that includes normal building standard services as provided by the landlord within a base year rental.
2. Double Net (NN): Tenant pays for only two of the building expenses; the landlord and tenant determine the specific expenses prior to signing the lease agreement.
3. Triple Net (NNN): A lease in which the tenant is responsible for all expenses associated with their proportional share of occupancy of the building.
4. Modified Gross: Modified Gross is a general type of lease rate where typically the tenant will be responsible for their proportional share of one or more of the expenses. The landlord will pay the remaining expenses. See the below list of common Modified Gross rental rate structures: 4. Plus All Utilities: A type of Modified Gross Lease where the tenant is responsible for their proportional share of utilities in addition to the rent. 4. Plus Cleaning: A type of Modified Gross Lease where the tenant is responsible for their proportional share of cleaning in addition to the rent. 4. Plus Electric: A type of Modified Gross Lease where the tenant is responsible for their proportional share of the electrical cost in addition to the rent. 4. Plus Electric & Cleaning: A type of Modified Gross Lease where the tenant is responsible for their proportional share of the electrical and cleaning cost in addition to the rent. 4. Plus Utilities and Char: A type of Modified Gross Lease where the tenant is responsible for their proportional share of the utilities and cleaning cost in addition to the rent. 4. Industrial Gross: A type of Modified Gross lease where the tenant pays one or more of the expenses in addition to the rent. The landlord and tenant determine these prior to signing the lease agreement.
5. Tenant Electric: The landlord pays for all services and the tenant is responsible for their usage of lights and electrical outlets in the space they occupy.
6. Negotiable or Upon Request: Used when the leasing contact does not provide the rent or service type.
7. TBD: To be determined; used for buildings for which no rent or service type is known, commonly utilized when the buildings are not yet built.
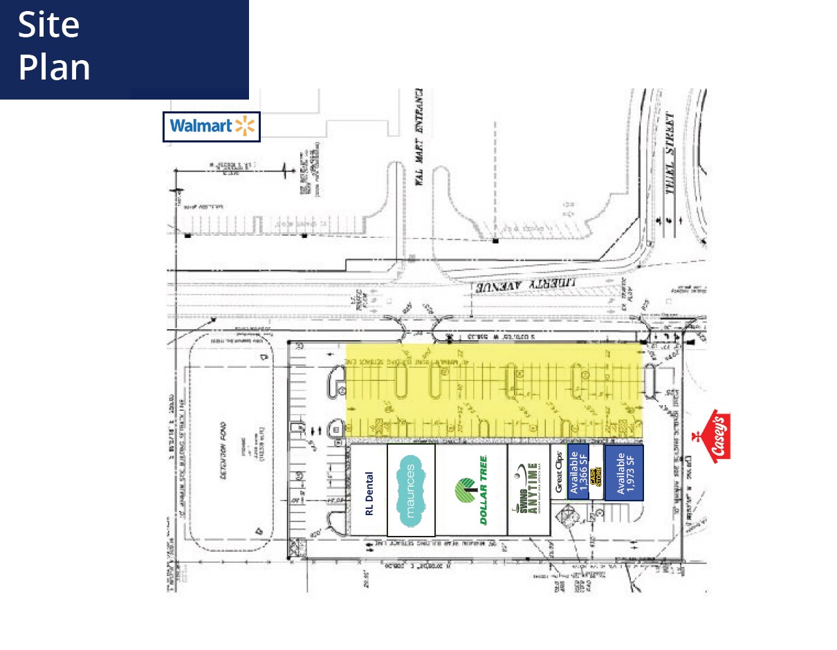
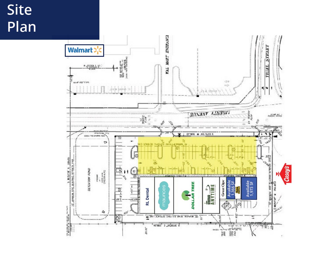
Site Plan
Select Tenants at 35-73 Liberty Ave, Hartford, WI 53027
- Tenant
- Description
- US Locations
- Reach
- Area Dental Clinic
- MD/DDS
- 3
- Local
- AT&T
- Wireless Communications
- 10,790
- International
- Cash Store
- Check Cash/Quick Loans
- 304
- National
- Dollar Tree
- Dollar/Variety/Thrift
- 11,310
- International
- Maurices
- Ladies' Apparel
- 1,041
- International
- Swing Anytime
- Accommodation and Food Services
- 1
- -
| Tenant | Description | US Locations | Reach |
| Area Dental Clinic | MD/DDS | 3 | Local |
| AT&T | Wireless Communications | 10,790 | International |
| Cash Store | Check Cash/Quick Loans | 304 | National |
| Dollar Tree | Dollar/Variety/Thrift | 11,310 | International |
| Maurices | Ladies' Apparel | 1,041 | International |
| Swing Anytime | Accommodation and Food Services | 1 | - |
Property Facts
| Total Space Available | 3,339 SF | Total Land Area | 4.75 AC |
| Property Type | Retail | Year Built | 2011 |
| Property Subtype | Freestanding | Parking Ratio | 5.05/1,000 SF |
| Gross Leasable Area | 28,254 SF |
| Total Space Available | 3,339 SF |
| Property Type | Retail |
| Property Subtype | Freestanding |
| Gross Leasable Area | 28,254 SF |
| Total Land Area | 4.75 AC |
| Year Built | 2011 |
| Parking Ratio | 5.05/1,000 SF |
About the Property
Approximately 1,366–1,973 SF of prime inline and endcap retail space is available for lease at The Shoppes at Hartford (35–73 Liberty Ave, Hartford, WI). This modern shopping center (built 2011) is shadow-anchored by Walmart, ensuring a steady draw of shoppers. The site offers excellent visibility along West Sumner Street (around 13,900 vehicles per day), with easy customer access and 66 surface parking stalls providing ample parking. Situated in a thriving retail corridor, the property benefits from robust local demographics – over 22,000 residents within a 5-mile radius with high median household incomes (around $85,000) – delivering a strong customer base for prospective tenants. Lease rates are available upon request.
- Courtyard
- Pylon Sign
Presented by
35-73 Liberty Ave
Hmm, there seems to have been an error sending your message. Please try again.
Thanks! Your message was sent.


