Log In/Sign Up
Your email has been sent.
351 Nj-28 3.1 Acres of Commercial Land Offered at $1,641,216 CAD in Bridgewater, NJ 08807

Executive Summary
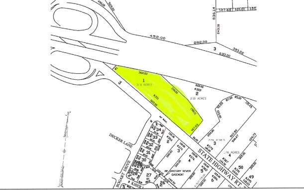
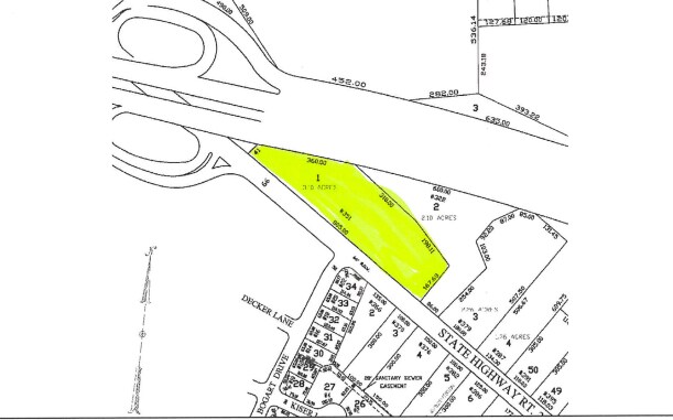
3.1 ACRES C-3 COMMERCIAL ZONE, 905 ' ON RT 28 & 360' ON RT 22 EAST ZONE MEDICAL/OFFICE/ASSISTANT LIVING, 8" WATER/SEWER MAIN ON SITE, ONE LAST REMAINING SITES AVAILABLE RT 22 EAST CORRIDOR, TOPO, MEETS & BOUNDS, GRADING & UTILITY SURVEYS ON FILE
Property Facts Under Contract
| Price | $1,641,216 CAD | Property Type | Land |
| Sale Type | Investment | Property Subtype | Commercial |
| No. Lots | 1 | Total Lot Size | 3.10 AC |
| Zoning | C-3 | ||
| Price | $1,641,216 CAD |
| Sale Type | Investment |
| No. Lots | 1 |
| Property Type | Land |
| Property Subtype | Commercial |
| Total Lot Size | 3.10 AC |
| Zoning | C-3 |
1 Lot Available
Lot 1
| Price | $1,641,216 CAD | Lot Size | 3.10 AC |
| Price Per AC | $529,424.50 CAD |
| Price | $1,641,216 CAD |
| Price Per AC | $529,424.50 CAD |
| Lot Size | 3.10 AC |
3.1 ACRES C-3 COMMERCIAL ZONE, 905 ' ON RT 28 & 360' ON RT 22 EAST ZONE MEDICAL/OFFICE/ASSISTANT LIVING, 8" WATER/SEWER MAIN ON SITE, ONE LAST REMAINING SITES AVAILABLE RT 22 EAST CORRIDOR, TOPO, MEETS & BOUNDS, GRADING & UTILITY SURVEYS ON FILE
1 1
Somewhat walkable
30/100
Exceptionally drivable
100/100
Somewhat bikeable
30/100
1 of 2
Videos
Matterport 3D Exterior
Matterport 3D Tour
Photos
Street View
Street
Map
1 of 1
Presented by
351 Nj-28
Already a member? Log In
Hmm, there seems to have been an error sending your message. Please try again.
Thanks! Your message was sent.
