Log In/Sign Up
Your email has been sent.
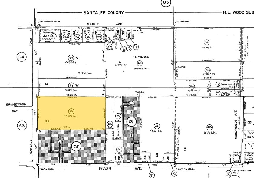
3608 Oakdale Rd - Tivoli Commercial/Residential Land 19.67 Acres of Residential Land in Modesto, CA 95357


Investment Highlights
- Commercial $10.00 PSF
- Medium High Density Residential (MHDR) $8.00 PSF
- Medium Density Residential (MDR) $8.00 PSF
Property Facts
1 Lot Available
Lot
| Lot Size | 19.67 AC |
| Lot Size | 19.67 AC |
Description
Great opportunity to acquire ±19.67 acres of land within the Tivoli Specific plan in Modesto, CA. The property consists of multiple use(s) including MDR, MHDR and General Commercial Zoning. The property is located just North of the prominent intersection of Oakdale Road and Sylvan Avenue.
1 1
Property Taxes
| Parcel Number | 083-04-13 | Improvements Assessment | $0 CAD |
| Land Assessment | $757,172 CAD | Total Assessment | $757,172 CAD |
Property Taxes
Parcel Number
083-04-13
Land Assessment
$757,172 CAD
Improvements Assessment
$0 CAD
Total Assessment
$757,172 CAD
1 of 3
Videos
Matterport 3D Exterior
Matterport 3D Tour
Photos
Street View
Street
Map
1 of 1
Presented by
3608 Oakdale Rd - Tivoli Commercial/Residential Land
Already a member? Log In
Hmm, there seems to have been an error sending your message. Please try again.
Thanks! Your message was sent.
