Log In/Sign Up
Your email has been sent.
Investment Highlights
- IH35 Loop 363 Junction
- Highest Traffic Insersection in Bell County
- IH35 and Loop 363 Signage
- Part of a 10 acre Development
Executive Summary
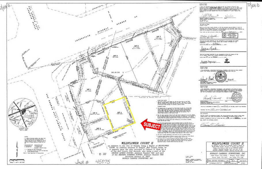
Lot 4 (estimated 1.06 acres) of a 10 acre developement located at Bell Counties busiest intersection, IH35 and Loop 363 junction.
Property Facts
1 Lot Available
Lot 4
| Lot Size | 1.06 AC |
| Lot Size | 1.06 AC |
Lot 4 (estimated 1.06 acres) of a 10 acre developement located at Bell Counties busiest Intersection, IH35 and Loop 363 junction.
Description
Lot 4 (estimated 1.06 acres) of a 10 acre developement located at Bell Counties busiest intersection, IH35 IH35 and Loop 363 junction.
Fairly walkable
50/100
Exceptionally drivable
100/100
Not bikeable
10/100
Property Taxes
| Parcel Number | 397522 | Improvements Assessment | $0 CAD |
| Land Assessment | $508,833 CAD | Total Assessment | $508,833 CAD |
Property Taxes
Parcel Number
397522
Land Assessment
$508,833 CAD
Improvements Assessment
$0 CAD
Total Assessment
$508,833 CAD
1 of 4
Videos
Matterport 3D Exterior
Matterport 3D Tour
Photos
Street View
Street
Map
Presented by
3610 SW HK Dodgen Loop - IH35 & Loop 363 Pad
Already a member? Log In
Hmm, there seems to have been an error sending your message. Please try again.
Thanks! Your message was sent.




