Your email has been sent.
3629 N E St - 3629 N E Street 3.07 Acres of Residential Land Offered at $1,794,257 CAD in San Bernardino, CA 92405



INVESTMENT HIGHLIGHTS
- Three prime parcels totaling 3.07 acres
- Excellent opportunity for developers looking to build single-family homes or multi-unit residential properties in a growing area
- RM zoning is ideal for the development of single-family residences
- Positioned for residential development in North San Bernardino
- RS zoning allows up to 12 residential units per net acre
EXECUTIVE SUMMARY
Located in a desirable residential area of San Bernardino, this is an excellent opportunity for developers looking to build single-family homes or multi-unit residential properties in a growing and well-connected area.
Buyer to verify zoning allowances with the City of San Bernardino for specific development details
PROPERTY FACTS
1 LOT AVAILABLE
Lot
| Price | $1,794,257 CAD | Lot Size | 3.07 AC |
| Price Per AC | $584,448.46 CAD |
| Price | $1,794,257 CAD |
| Price Per AC | $584,448.46 CAD |
| Lot Size | 3.07 AC |
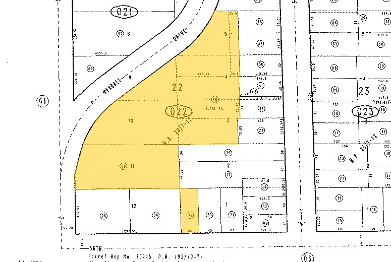
Three prime parcels totaling 3.07 acres—two contiguous and one non-contiguous—perfectly positioned for residential development in the northern San Bernardino area, located along Kendall Drive.
DESCRIPTION
Three prime parcels totaling 3.07 acres perfectly positioned for residential development in the northern San Bernardino area, located along Kendall Drive, Zoned RM (Residential Medium) and RS (Residential Single-Family). RS zoning allows up to 12 residential units per net acre. RM zoning is ideal for the development of single-family residences. Located in a desirable residential area of San Bernardino, this is an excellent opportunity for developers looking to build single-family homes or multi-unit residential properties in a growing and well-connected area. Buyer to verify zoning allowances with the City of San Bernardino for specific development details.
PROPERTY TAXES
| Parcel Numbers | Improvements Assessment | $0 CAD | |
| Land Assessment | $409,723 CAD | Total Assessment | $409,723 CAD |
PROPERTY TAXES
Presented by
3629 N E St - 3629 N E Street
Hmm, there seems to have been an error sending your message. Please try again.
Thanks! Your message was sent.
