Log In/Sign Up
Your email has been sent.
3637 Sturgis Road - Hard Corner Commercial Lot 0.46 Acres of Commercial Land Offered at $313,824 CAD in Rapid City, SD 57702



Investment Highlights
- Great corner lot with high visibility
- Zoned General Commercial
- Signaled intersection in desirable Northwest Rapid City
Executive Summary
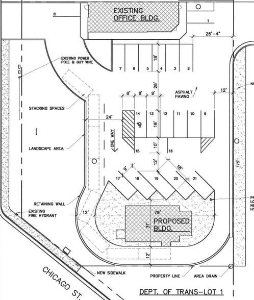
Extremely high-visibility corner lot on a busy westside intersection (12,293 traffic count). General commercial zoning makes it perfect for your next retail or office project. Access easement and shared parking with the building next door. Previously planned out for a ~1,500sf building footprint and 14+ additional parking spaces. Plans available upon request.
Taxes & Operating Expenses (Actual - 2022) Click Here to Access |
Annual (CAD) | Annual Per AC (CAD) |
|---|---|---|
| Taxes |
$99,999
|
$9.99
|
| Operating Expenses |
$99,999
|
$9.99
|
| Total Expenses |
$99,999
|
$9.99
|
Taxes & Operating Expenses (Actual - 2022) Click Here to Access
| Taxes (CAD) | |
|---|---|
| Annual | $99,999 |
| Annual Per AC | $9.99 |
| Operating Expenses (CAD) | |
|---|---|
| Annual | $99,999 |
| Annual Per AC | $9.99 |
| Total Expenses (CAD) | |
|---|---|
| Annual | $99,999 |
| Annual Per AC | $9.99 |
Property Facts
| Price | $313,824 CAD | Property Subtype | Commercial |
| Sale Type | Owner User | Proposed Use | |
| No. Lots | 1 | Total Lot Size | 0.46 AC |
| Property Type | Land | ||
| Zoning | General Commercial - General Commercial | ||
| Price | $313,824 CAD |
| Sale Type | Owner User |
| No. Lots | 1 |
| Property Type | Land |
| Property Subtype | Commercial |
| Proposed Use | |
| Total Lot Size | 0.46 AC |
| Zoning | General Commercial - General Commercial |
1 Lot Available
Lot
| Price | $313,824 CAD | Lot Size | 0.46 AC |
| Price Per AC | $682,225.83 CAD |
| Price | $313,824 CAD |
| Price Per AC | $682,225.83 CAD |
| Lot Size | 0.46 AC |
High-visibility corner lot on a busy westside intersection, general commercial zoning.
Description
Extremely high-visibility corner lot on a busy westside intersection (12,293 traffic count). General commercial zoning makes it perfect for your next retail or office project. Access easement and shared parking with the building next door. Previously planned out for a ~1,500sfbuilding footprint and 14+ additional parking spaces. Plans available upon request.
1 1
Somewhat walkable
30/100
Exceptionally drivable
100/100
Fairly bikeable
40/100
1 of 11
Videos
Matterport 3D Exterior
Matterport 3D Tour
Photos
Street View
Street
Map
1 of 1
Presented by
3637 Sturgis Road - Hard Corner Commercial Lot
Already a member? Log In
Hmm, there seems to have been an error sending your message. Please try again.
Thanks! Your message was sent.
