Log In/Sign Up
Your email has been sent.
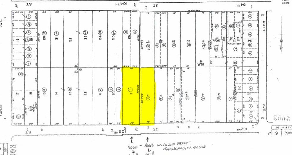
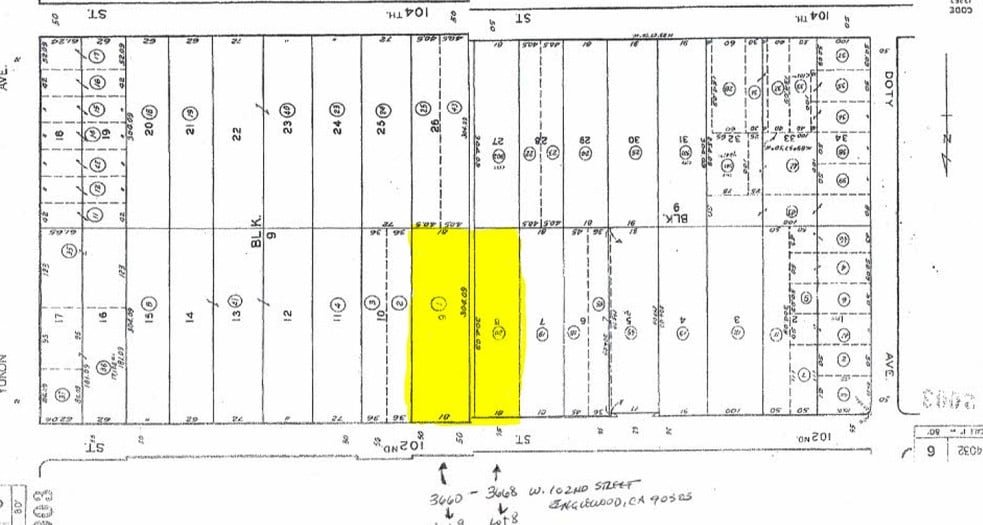
3660-3668 W 102nd St 1.13 Acres of Commercial Land Offered at $8,299,538 CAD in Inglewood, CA 90303



INVESTMENT HIGHLIGHTS
- Two adjacent parcels: 3660 W 102nd St (24,660 sq ft) & 3668 W 102nd St (24,695 sq ft) combined = 49,355 total square feet
- Can be sold separately or together -scale to suit buyer (single-parcel buyer or larger development)
- Good Walk Score / Transit options nearby - supports mixed-use, workforce housing, or hospitality uses
- Zoning: INM1L- flexible for industrial, commercial, office, hotel or mixed-use concepts
- Highly strategic location near Hollywood Park / SoFi Stadium / major entertainment nodes - strong event-driven demand
EXECUTIVE SUMMARY
Stiegler | Takahashi Group is pleased to present 3660 & 3668 W 102nd St, two adjacent parcels totaling 49,355 sq ft
in the heart of Inglewood’s entertainment redevelopment zone, near SoFi Stadium, The Forum, and Hollywood Park.
Zoned INM1L, the lots offer flexible opportunities for industrial, commercial, office, hotel, or mixed-use development
and can be sold separately or together. With strong event-driven demand and excellent walkability and transit
access, this is a rare opportunity for investors and developers to capitalize on one of Inglewood’s most dynamic
corridors.
in the heart of Inglewood’s entertainment redevelopment zone, near SoFi Stadium, The Forum, and Hollywood Park.
Zoned INM1L, the lots offer flexible opportunities for industrial, commercial, office, hotel, or mixed-use development
and can be sold separately or together. With strong event-driven demand and excellent walkability and transit
access, this is a rare opportunity for investors and developers to capitalize on one of Inglewood’s most dynamic
corridors.
PROPERTY FACTS
| Price | $8,299,538 CAD | Property Subtype | Commercial |
| Sale Type | Investment | Proposed Use | |
| No. Lots | 1 | Total Lot Size | 1.13 AC |
| Property Type | Land | ||
| Zoning | INM1L* - Limited Industrial | ||
| Price | $8,299,538 CAD |
| Sale Type | Investment |
| No. Lots | 1 |
| Property Type | Land |
| Property Subtype | Commercial |
| Proposed Use | |
| Total Lot Size | 1.13 AC |
| Zoning | INM1L* - Limited Industrial |
1 LOT AVAILABLE
Lot
| Price | $8,299,538 CAD | Lot Size | 1.13 AC |
| Price Per AC | $7,325,050.06 CAD |
| Price | $8,299,538 CAD |
| Price Per AC | $7,325,050.06 CAD |
| Lot Size | 1.13 AC |
Two adjacent parcels: 3660 W 102nd St (24,660 sq ft) & 3668 W 102nd St (24,695 sq ft) combined = 49,355 total square feet. Zoning: INM1L- flexible for industrial, commercial, office, hotel or mixed-use concepts. Highly strategic location!
1 1
Walk Score®
Very Walkable (71)
PROPERTY TAXES
| Parcel Numbers | Improvements Assessment | $0 CAD | |
| Land Assessment | $2,036,500 CAD | Total Assessment | $2,036,500 CAD |
PROPERTY TAXES
Parcel Numbers
Land Assessment
$2,036,500 CAD
Improvements Assessment
$0 CAD
Total Assessment
$2,036,500 CAD
1 of 4
VIDEOS
MATTERPORT 3D EXTERIOR
MATTERPORT 3D TOUR
PHOTOS
STREET VIEW
STREET
MAP
1 of 1
Presented by
Mark Twain Real Estate
3660-3668 W 102nd St
Already a member? Log In
Hmm, there seems to have been an error sending your message. Please try again.
Thanks! Your message was sent.
