Log In/Sign Up
Your email has been sent.
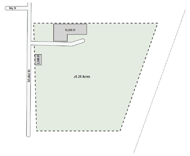
3660 Schalker Dr - Prime Location I ±9.29 Acre Laydown Yard 9.29 Acres of Industrial Land in Houston, TX 77026



INVESTMENT HIGHLIGHTS
- ±9.29 Acre Laydown Yard
- Fenced, gated
- Independent Internet line
- Total Buildings: ±17,800 SF
- City of Houston utilities
EXECUTIVE SUMMARY
Colliers, on behalf of ownership, is pleased to offer for lease this two-building, single-tenant industrial property, situated on ±9.29 acres and strategically located between four major freeways (I-10, I-610, I-45 and I-69).
Property Features
• Land Size: ±9.29 AC (404,672 SF)
• Total Buildings: ±17,800 SF
• Building A:
- ±15,500 SF; minimal office
- Two grade-level loading doors
• Building B:
- ±2,300 SF; minimal office
- Two grade-level loading doors
• Fenced, gated
• City of Houston utilities
• Independent Internet line
Property Features
• Land Size: ±9.29 AC (404,672 SF)
• Total Buildings: ±17,800 SF
• Building A:
- ±15,500 SF; minimal office
- Two grade-level loading doors
• Building B:
- ±2,300 SF; minimal office
- Two grade-level loading doors
• Fenced, gated
• City of Houston utilities
• Independent Internet line
PROPERTY FACTS
| Sale Type | Investment or Owner User | Proposed Use | Contractor Storage Yard |
| No. Lots | 1 | Total Lot Size | 9.29 AC |
| Property Type | Land | Opportunity Zone |
Yes
|
| Property Subtype | Industrial |
| Sale Type | Investment or Owner User |
| No. Lots | 1 |
| Property Type | Land |
| Property Subtype | Industrial |
| Proposed Use | Contractor Storage Yard |
| Total Lot Size | 9.29 AC |
| Opportunity Zone |
Yes |
1 LOT AVAILABLE
Lot
| Lot Size | 9.29 AC |
| Lot Size | 9.29 AC |
• Land Size: ±9.29 AC (404,672 SF) • Total Buildings: ±17,800 SF • Fenced, gated • City of Houston utilities • Independent Internet line
1 1
1 of 4
VIDEOS
MATTERPORT 3D EXTERIOR
MATTERPORT 3D TOUR
PHOTOS
STREET VIEW
STREET
MAP
1 of 1
Presented by
3660 Schalker Dr - Prime Location I ±9.29 Acre Laydown Yard
Already a member? Log In
Hmm, there seems to have been an error sending your message. Please try again.
Thanks! Your message was sent.
