Log In/Sign Up
Your email has been sent.
INVESTMENT HIGHLIGHTS
- On Sussex Hwy
- Easy Ingress & Egress
EXECUTIVE SUMMARY
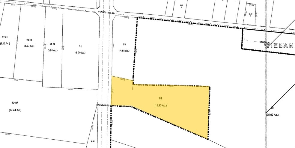
Rare Commercial Opportunity in Tax-Free Delmar! 11.92± acres with 360' direct frontage on Route 13 and two access points in a high-visibility corridor. The site currently buildings a 3,700 +/- SF Former auto shop plus 2,000 +/- SF former office, with a large secure fenced yard — ideal for automotive, service, or industrial use. Front zoned C-1 and back zoned C-3, and conditional use in place offering broad permitted uses: convenience store/fuel station, retail, offices, warehouse/self-storage, restaurants, medical, institutional, etc. Over 360 ft of road frontage, flexible layout, and strong redevelopment potential. Don’t miss this rare parcel with immediate use and long-term upside. Contact for details and to schedule a tour.
PROPERTY FACTS
Sale Type
Investment or Owner User
Property Type
Retail
Property Subtype
Auto Repair
Building Size
5,700 SF
Building Class
C
Year Built
1990
Price
$1,795,868 CAD
Price Per SF
$315.06 CAD
Tenancy
Single
Building Height
1 Story
Building FAR
0.01
Lot Size
11.92 AC
Zoning
C-1 & C-3 - supports high-intensity commercial use with large building footprints and significant parking requirements
Frontage
360’ on Sussex Highway
PROPERTY TAXES
| Parcel Number | 532-13.00-84.00 | Improvements Assessment | $29,702 CAD |
| Land Assessment | $11,711 CAD | Total Assessment | $41,413 CAD |
PROPERTY TAXES
Parcel Number
532-13.00-84.00
Land Assessment
$11,711 CAD
Improvements Assessment
$29,702 CAD
Total Assessment
$41,413 CAD
1 of 4
VIDEOS
MATTERPORT 3D EXTERIOR
MATTERPORT 3D TOUR
PHOTOS
STREET VIEW
STREET
MAP
Presented by
36671 Sussex Hwy
Already a member? Log In
Hmm, there seems to have been an error sending your message. Please try again.
Thanks! Your message was sent.



