Your email has been sent.
3725 Texas 35 - LAND IN FULTON, TEXAS 0.75 Acres of Commercial Land Offered at $342,427 CAD in Fulton, TX 78358



Investment Highlights
- Less than 10 minutes from Downtown Rockport / Main Street / Rockport Harbor
- ~2 miles away from Walmart with 1.7m visits annually
- Right next door to the Hampton Inn and Suites and Econo Lodge, with 5 other lodging options within one mile radius
- Easy Access to Hwy 35
- ~2 miles away from HEB with 1.6m visits annually
- Perfect for fast food, retail, or service-based businesses looking to capitalize on high visibility and steady traffic in the heart of Fulton.
Executive Summary
Property Facts
| Price | $342,427 CAD | Property Subtype | Commercial |
| Sale Type | Investment | Proposed Use | |
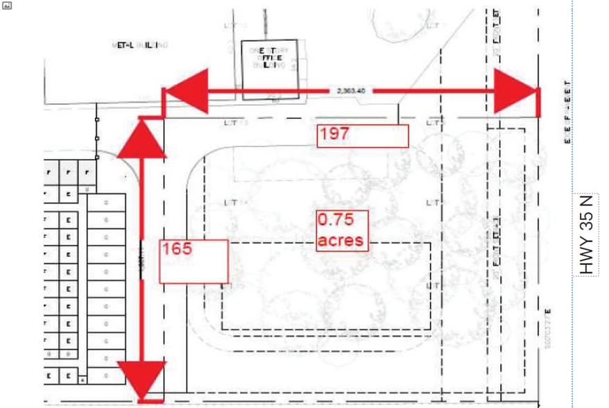
| No. Lots | 1 | Total Lot Size | 0.75 AC |
| Property Type | Land | Opportunity Zone |
Yes
|
| Price | $342,427 CAD |
| Sale Type | Investment |
| No. Lots | 1 |
| Property Type | Land |
| Property Subtype | Commercial |
| Proposed Use | |
| Total Lot Size | 0.75 AC |
| Opportunity Zone |
Yes |
1 Lot Available
Lot
| Price | $342,427 CAD | Lot Size | 0.75 AC |
| Price Per AC | $456,569.99 CAD |
| Price | $342,427 CAD |
| Price Per AC | $456,569.99 CAD |
| Lot Size | 0.75 AC |
For sale by Owner Ideal for fast food, retail, or service businesses. High visibility, great road frontage, and strong traffic counts make this a prime location for a drive-thru, convenience store, or small retail center.
Description
Strategically located just minutes from Downtown Rockport, Main Street, and Rockport Harbor, this 0.75-acre commercial parcel offers outstanding accessibility and visibility in one of the Gulf Coast’s most active corridors. Water and sewer are stubbed at the rear of the front pad site, providing easy access for development. Electrical service has been confirmed and is available at the front of the property. The site has direct access to TX-35 and benefits from strong daily traffic counts, with 17,414 vehicles per day (VPD) on TX-35 and 13,700 VPD on Myrtle Street—ensuring excellent exposure for any future development. The property is located approximately 2 miles from both Walmart (1.7 million annual visits) and HEB (1.6 million annual visits), and sits directly next to the Hampton Inn & Suites and Econo Lodge, with five additional lodging options within a one-mile radius—ideal for capturing both local and tourist-driven demand.
Presented by
3725 Texas 35 - LAND IN FULTON, TEXAS
Hmm, there seems to have been an error sending your message. Please try again.
Thanks! Your message was sent.
