Log In/Sign Up
Your email has been sent.
Investment Highlights
- Excellent for many types of business or office use.
Executive Summary
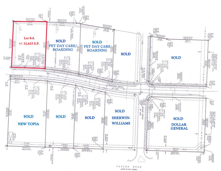
This property is located on Malcolm Drive just south of Vaughn Road. One (1) Commercial Lot remaining. Excellent for many types of business or office use.
Property Facts
1 Lot Available
Lot
| Price | $268,093 CAD | Lot Size | 0.75 AC |
| Price Per AC | $357,934.08 CAD |
| Price | $268,093 CAD |
| Price Per AC | $357,934.08 CAD |
| Lot Size | 0.75 AC |
Sale Price - $6.00/S.F. - +/- 32,625 S.F.
Description
This property is located on Malcolm Drive just south of Vaughn Road. One (1) Commercial Lot remaining. Excellent for many types of business or office use.
Somewhat walkable
30/100
Exceptionally drivable
90/100
Fairly bikeable
40/100
Property Taxes
| Parcel Numbers | Improvements Assessment | $330,197 CAD | |
| Land Assessment | $48,662 CAD | Total Assessment | $378,860 CAD |
Property Taxes
Parcel Numbers
Land Assessment
$48,662 CAD
Improvements Assessment
$330,197 CAD
Total Assessment
$378,860 CAD
1 of 4
Videos
Matterport 3D Exterior
Matterport 3D Tour
Photos
Street View
Street
Map
Presented by
3730 Malcolm Dr
Already a member? Log In
Hmm, there seems to have been an error sending your message. Please try again.
Thanks! Your message was sent.




