Log In/Sign Up
Your email has been sent.
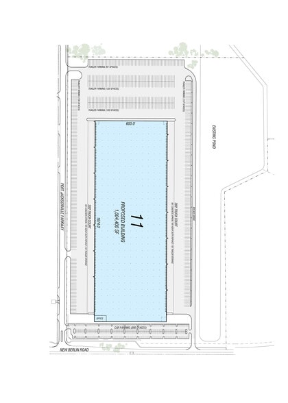
3855 Port Jacksonville Pkwy Pky 500,000 - 1,005,000 SF of Industrial Space Available in Jacksonville, FL 32226



Features
Clear Height
40’
Column Spacing
54’ x 48’
Warehouse Floor
7”
Drive In Bays
2
Exterior Dock Doors
110
All Available Space(1)
Display Rental Rate as
- Space
- Size
- Term
- Rental Rate
- Space Use
- Build-Out
- Available
- 1st Floor
- 500,000-1,005,000 SF
- Negotiable
- Upon Request Upon Request Upon Request Upon Request
- Industrial
- Spec Suite
- 2027-01-01
| Space | Size | Term | Rental Rate | Space Use | Build-Out | Available |
| 1st Floor | 500,000-1,005,000 SF | Negotiable | Upon Request Upon Request Upon Request Upon Request | Industrial | Spec Suite | 2027-01-01 |
1st Floor
| Size |
| 500,000-1,005,000 SF |
| Term |
| Negotiable |
| Rental Rate |
| Upon Request Upon Request Upon Request Upon Request |
| Space Use |
| Industrial |
| Build-Out |
| Spec Suite |
| Available |
| 2027-01-01 |
Property Overview
Total Building Area: 1,005,000± SF
Warehouse Facility Facts
Building Size
1,005,000 SF
Lot Size
71.79 AC
Power Supply
Amps: 4,000 Volts: 277-480
1 1
Not walkable
10/100
Exceptionally drivable
100/100
1 of 5
Videos
Matterport 3D Exterior
Matterport 3D Tour
Photos
Street View
Street
Map
1 of 1
Presented by
3855 Port Jacksonville Pkwy Pky
Already a member? Log In
Hmm, there seems to have been an error sending your message. Please try again.
Thanks! Your message was sent.
