Your email has been sent.
3865 Mall Rd
Lexington, KY 40503
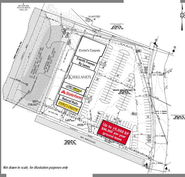
Mall Road Outparcel · Land For Lease


Property Overview
Outparcel for ground lease. Up to +/-5,000 SF. Rare opportunity to lease in a new retail center adjacent to a 1.2M SF regional draw Fayette Mall with over 150 stores on 87 AC, 190,000 SF Plaza at Fayette Mall and a high volume Walmart Supercenter and Lowes Center in desirable south Lexington. Nearby retailers and restaurants include Macy' s, JCPenney, Dillards, Dick' s Sporting Goods, Old Navy, Lowes, Walmart Supercenter, Cinemark 16-screen Theatre, PF Chang' s, Abuelo' s, TGI Fridays, Logan' s Roadhouse, Johnny Carino' s, Moe' s, The Pub, Smashing Tomato, Saul Good and many more. Trade area contains 2,147,714 sf with an occupancy rate over 97%. This site offers a high-traffic location on Mall Road adjoining The Plaza at Fayette Mall. It is adjacent Lowe's, Walmart Supercenter and Lexington Athletic Club and benefits from Cinemark Multiplex and Fayette Mall traffic.
