Your email has been sent.
40 Sea Pave Rd - Entitled Site Ready to Build 1.03 Acres of Industrial Land Offered at $247,820 CAD in South Windsor, CT 06074



EXECUTIVE SUMMARY
PROPERTY FACTS Under Contract
1 LOT AVAILABLE
Lot
| Price | $247,820 CAD | Lot Size | 1.03 AC |
| Price Per AC | $240,602.34 CAD |
| Price | $247,820 CAD |
| Price Per AC | $240,602.34 CAD |
| Lot Size | 1.03 AC |
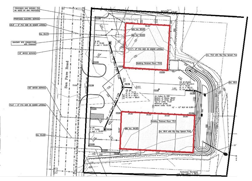
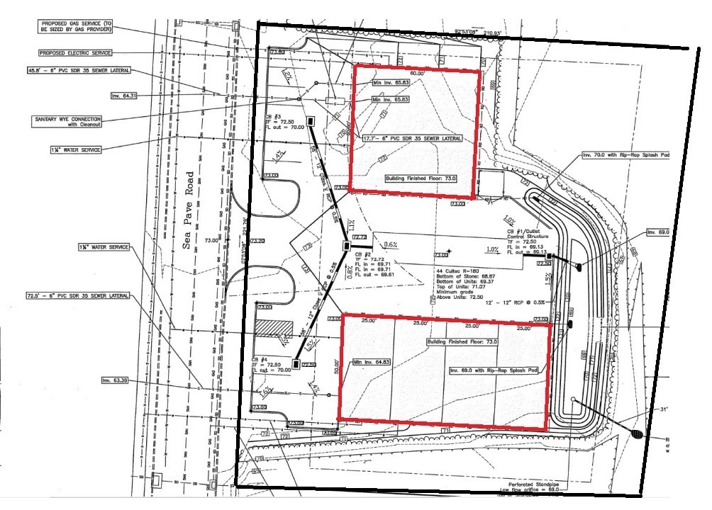
Land Only-$180,000 unimproved. Entitled site to build two industrial buildings, 5,000 sf & 3,600 sf, a total of 8,600 sf. Call/write Kenneth Labbe 860.891.8551; 203-391-6805; klabbe@pyramidregroup.com
DESCRIPTION
The parcel consists of a 1.03-acre parcel approved for the development of two industrial buildings, one building at 5,000 square feet and a second at 3,600 square feet. Please call/write to explore with Kenneth R. Labbe, Associate Real Estate Broker, Pyramid Real Estate Group, - Cell.860-891-8551, Desk Direct - 203-391-6805, Front Desk and Voicemail - 203-348-8566 Extension 805, Email - klabbe@pyramidregroup.com
PROPERTY TAXES
| Parcel Number | SWIN-000007-000018-000005 | Improvements Assessment | $0 CAD |
| Land Assessment | $111,822 CAD | Total Assessment | $111,822 CAD |
PROPERTY TAXES
Presented by
40 Sea Pave Rd - Entitled Site Ready to Build
Hmm, there seems to have been an error sending your message. Please try again.
Thanks! Your message was sent.

