Your email has been sent.
Investment Highlights
- Parcel is located centrally in a very desirable area.
- Building is a two minute drive to US-280.
- There are a lot of other established business and developments around.
- The property is a two minute drive from Evans Memorial Hospital.
Executive Summary
Property Facts
| Price | $94,133 CAD | Property Subtype | Commercial |
| Sale Type | Investment | Proposed Use | |
| No. Lots | 1 | Total Lot Size | 0.77 AC |
| Property Type | Land | Opportunity Zone |
Yes
|
| Zoning | C3 - Heavy Commercial | ||
| Price | $94,133 CAD |
| Sale Type | Investment |
| No. Lots | 1 |
| Property Type | Land |
| Property Subtype | Commercial |
| Proposed Use | |
| Total Lot Size | 0.77 AC |
| Opportunity Zone |
Yes |
| Zoning | C3 - Heavy Commercial |
1 Lot Available
Lot
| Price | $94,133 CAD | Lot Size | 0.77 AC |
| Price Per AC | $122,250.08 CAD |
| Price | $94,133 CAD |
| Price Per AC | $122,250.08 CAD |
| Lot Size | 0.77 AC |
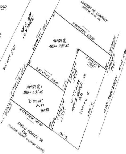
Parcel C at 0.77 acres has fronting on North River Street. Adjacent to Advance Auto Parts and Claxton Square Shopping Center. Located on US Hwy 301 in Claxton, Evans County, Georgia.
Description
Address not assigned, address used is for Galaxy Foods. Curb cuts not applied for; Parcel has access to Claxton Square since it abuts the service drive from US 301 to North River Street. Restrictions include drug store, health and beauty aid store, pharmacy, variety store, game room, massage parlor, modeling studio, headshop, abortion clinic, stores selling pornographic materials, consumer loan company, grocery store, meat fish or vegetable market, and auto parts store.
Presented by
403 N Duval St - Parcel C
Hmm, there seems to have been an error sending your message. Please try again.
Thanks! Your message was sent.


