Log In/Sign Up
Your email has been sent.
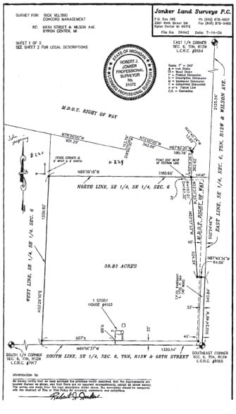
4093 & 4103 68th St SW - Highly visible interchange site 38 Acres of Residential Land Offered at $8,222,460 CAD in Byron Center, MI 49315



Executive Summary
Positioned at the corner of Wilson Ave and 68th Street, this 38.83-acre parcel offers outstanding visibility along M-6 and is situated in one of West Michigan’s fastest-growing development corridors. With nearly 2,500 feet of combined road frontage, existing utility access, and flat, mostly cleared terrain, the site is ideally suited for commercial or mixed-use development.
Current zoning is Rural Residential (RR), but the township's master plan supports future rezoning to a Mixed Use PUD, allowing for a blend of office, retail, and residential uses. Developers will appreciate the site's proximity to major regional anchors, including the M-6/US-131 corridor, as well as the convenience of nearby shopping, dining, and services — all reachable within a 10-minute drive.
Current zoning is Rural Residential (RR), but the township's master plan supports future rezoning to a Mixed Use PUD, allowing for a blend of office, retail, and residential uses. Developers will appreciate the site's proximity to major regional anchors, including the M-6/US-131 corridor, as well as the convenience of nearby shopping, dining, and services — all reachable within a 10-minute drive.
Property Facts
1 Lot Available
Lot
| Price | $8,222,460 CAD | Lot Size | 38.00 AC |
| Price Per AC | $216,380.52 CAD |
| Price | $8,222,460 CAD |
| Price Per AC | $216,380.52 CAD |
| Lot Size | 38.00 AC |
Positioned at the corner of Wilson Ave and 68th Street, this 38.83-acre parcel offers outstanding visibility along M-6 and is situated in one of West Michigan’s fastest-growing development corridors. With nearly 2,500 feet of combined road frontage,
Somewhat walkable
20/100
Exceptionally drivable
100/100
Somewhat bikeable
20/100
Property Taxes
| Parcel Number | 41-21-06-400-073 | Improvements Assessment | $0 CAD |
| Land Assessment | $0 CAD | Total Assessment | $570,502 CAD |
Property Taxes
Parcel Number
41-21-06-400-073
Land Assessment
$0 CAD
Improvements Assessment
$0 CAD
Total Assessment
$570,502 CAD
1 of 4
Videos
Matterport 3D Exterior
Matterport 3D Tour
Photos
Street View
Street
Map
Presented by
4093 & 4103 68th St SW - Highly visible interchange site
Already a member? Log In
Hmm, there seems to have been an error sending your message. Please try again.
Thanks! Your message was sent.

