Log In/Sign Up
Your email has been sent.
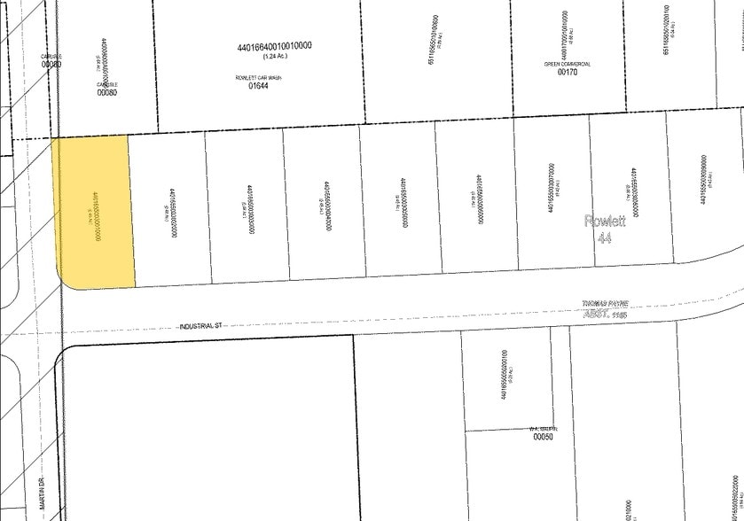
4101 Industrial St - ±0.408 AC 0.4 Acres of Commercial Land Offered at $685,205 CAD in Rowlett, TX 75088


Investment Highlights
- *Adjoining Site: Available For Sale, Contact Broker for more information.
Executive Summary
FOR SALE: ±0.408 ACRE
PRIME for Retail, Restaurant, Hospitality or Medical.
*Adjoining Site: Available For Sale, Contact Broker for more information.
PRIME for Retail, Restaurant, Hospitality or Medical.
*Adjoining Site: Available For Sale, Contact Broker for more information.
Property Facts
| Price | $685,205 CAD | Property Subtype | Commercial |
| Sale Type | Investment | Proposed Use | Commercial |
| No. Lots | 1 | Total Lot Size | 0.40 AC |
| Property Type | Land | ||
| Zoning | FB-UV | ||
| Price | $685,205 CAD |
| Sale Type | Investment |
| No. Lots | 1 |
| Property Type | Land |
| Property Subtype | Commercial |
| Proposed Use | Commercial |
| Total Lot Size | 0.40 AC |
| Zoning | FB-UV |
1 Lot Available
Lot
| Price | $685,205 CAD | Lot Size | 0.40 AC |
| Price Per AC | $1,713,012.46 CAD |
| Price | $685,205 CAD |
| Price Per AC | $1,713,012.46 CAD |
| Lot Size | 0.40 AC |
FOR SALE: ±0.408 ACRE PRIME for Retail, Restaurant, Hospitality or Medical. *Adjoining Site: Available For Sale, Contact Broker for more information.
Fairly walkable
50/100
Very drivable
80/100
Somewhat bikeable
30/100
Property Taxes
| Parcel Number | 44016550030010000 | Improvements Assessment | $0 CAD |
| Land Assessment | $115,524 CAD | Total Assessment | $115,524 CAD |
Property Taxes
Parcel Number
44016550030010000
Land Assessment
$115,524 CAD
Improvements Assessment
$0 CAD
Total Assessment
$115,524 CAD
1 of 3
Videos
Matterport 3D Exterior
Matterport 3D Tour
Photos
Street View
Street
Map
Presented by
4101 Industrial St - ±0.408 AC
Already a member? Log In
Hmm, there seems to have been an error sending your message. Please try again.
Thanks! Your message was sent.

