Log In/Sign Up
Your email has been sent.
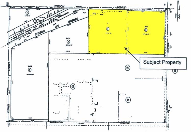
4135 Stetson Ave - Cawston & Stetson 18.21 Acres of Commercial Land Offered at $10,257,600 CAD in Hemet, CA 92545

Executive Summary
APN 460-020-007 & 008. Approx. 18.21 acres gross. Signalized intersection at Cawston & Stetson avenues. Located in strong, emerging southwest commercial area of Hemet. Near Wal-Mart Supercenter, Walgreens, airport, others. Zoning: Commercial-development potential - To be verified by City of Hemet.
SWC of Cawston & Stetson avenues.
SWC of Cawston & Stetson avenues.
Property Facts
| Price | $10,257,600 CAD | Property Subtype | Commercial |
| Sale Type | Investment or Owner User | Proposed Use | Commercial |
| No. Lots | 1 | Total Lot Size | 18.21 AC |
| Property Type | Land | Cross Streets | Cawston Ave |
| Zoning | C-2 - Commercial | ||
| Price | $10,257,600 CAD |
| Sale Type | Investment or Owner User |
| No. Lots | 1 |
| Property Type | Land |
| Property Subtype | Commercial |
| Proposed Use | Commercial |
| Total Lot Size | 18.21 AC |
| Cross Streets | Cawston Ave |
| Zoning | C-2 - Commercial |
1 Lot Available
Lot
| Price | $10,257,600 CAD | Lot Size | 18.21 AC |
| Price Per AC | $563,294.87 CAD |
| Price | $10,257,600 CAD |
| Price Per AC | $563,294.87 CAD |
| Lot Size | 18.21 AC |
1 1
Fairly walkable
40/100
Exceptionally drivable
90/100
Limited public transit
20/100
Somewhat bikeable
30/100
Property Taxes
| Parcel Numbers | Improvements Assessment | $0 CAD | |
| Land Assessment | $3,540,385 CAD | Total Assessment | $3,540,385 CAD |
Property Taxes
Parcel Numbers
Land Assessment
$3,540,385 CAD
Improvements Assessment
$0 CAD
Total Assessment
$3,540,385 CAD
1 of 2
Videos
Matterport 3D Exterior
Matterport 3D Tour
Photos
Street View
Street
Map
1 of 1
Presented by
4135 Stetson Ave - Cawston & Stetson
Already a member? Log In
Hmm, there seems to have been an error sending your message. Please try again.
Thanks! Your message was sent.
