Your email has been sent.
4186 Riverside Dr 4.54 Acres of Commercial Land Offered at $6,287,280 CAD in Chino, CA 91710



Investment Highlights
- ±4.53 acres of industrial land with direct frontage along the Riverside Dr commercial corridor.
- Flexible zoning foundation supports multiple commercial and industrial use scenarios.
- Mid-size acreage offers scale while remaining accessible for diverse buyer profiles.
- Buyer-controlled entitlement strategy with no pre-set development approvals required.
- Clean, unimproved site allows for efficient site planning and development execution.
- Valuation anchored by transparent price-per-acre methodology informed by Inland Empire comps.
Executive Summary
Property Facts
1 Lot Available
Lot
| Price | $6,287,280 CAD | Lot Size | 4.54 AC |
| Price Per AC | $1,386,359.68 CAD |
| Price | $6,287,280 CAD |
| Price Per AC | $1,386,359.68 CAD |
| Lot Size | 4.54 AC |
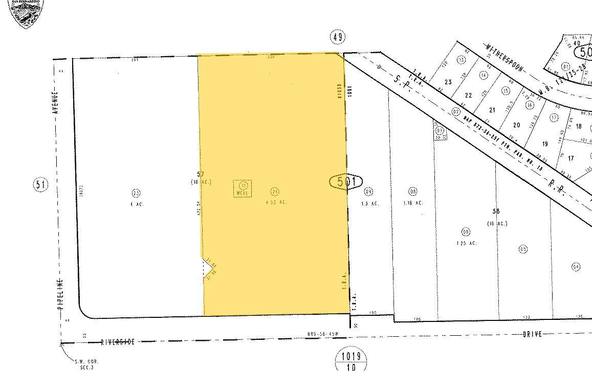
±4.53-acre industrial-zoned land parcel on Riverside Dr in Chino, CA, offering direct frontage, regional access, and buyer-controlled entitlement flexibility for multiple commercial development strategies.
Description
Located at 4186 Riverside Dr in Chino, California, this ±4.53-acre development land offering provides a strategic footprint within the Inland Empire’s established logistics and commercial market. The site features direct frontage along Riverside Drive, offering visibility and access to regional transportation networks and surrounding employment centers. Reported industrial zoning (buyer to verify) and the absence of existing improvements create a flexible foundation suited for a wide range of commercial development strategies. The parcel’s size positions it between smaller infill sites and larger assemblages, delivering scale without excessive capital requirements. Buyers control the entitlement path, allowing for industrial, flex, yard, storage, or land-banking uses depending on investment strategy and market timing. Situated within the City of Chino and San Bernardino County jurisdiction (buyer to verify), the property combines location, frontage, and optionality, making it attractive to developers, investors, and owner-users seeking adaptable land in a high-growth Inland Empire corridor.
Property Taxes
| Parcel Numbers | Improvements Assessment | $0 CAD | |
| Land Assessment | $3,761,665 CAD | Total Assessment | $3,761,665 CAD |
Property Taxes
Presented by
4186 Riverside Dr
Hmm, there seems to have been an error sending your message. Please try again.
Thanks! Your message was sent.

