Log In/Sign Up
Your email has been sent.
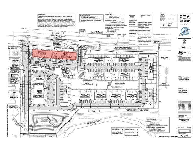
42261 7 Mile Rd - Retail 1 Acre of Commercial Land Offered at $2,056,185 CAD in Northville, MI 48167



Investment Highlights
- A Site Plan approved two building 13,800 square foot Retail Development along 7 Mile Rd in Northville.
- Located along the main thoroughfare between I-275 and downtown Northville.
- Part of a larger PUD featuring 125 residential units comprised of apartments and townhomes.
- Site will be turned over fully developed and pad ready.
Executive Summary
A two building 13,800 square foot Multi-Tenant Retail Center located along 7 Mile Rd just east of Main Street just outside of
downtown Northville
downtown Northville
Property Facts
| Price | $2,056,185 CAD | Property Subtype | Commercial |
| Sale Type | Investment | Proposed Use | Retail |
| No. Lots | 1 | Total Lot Size | 1.00 AC |
| Property Type | Land | ||
| Zoning | PUD - Planned | ||
| Price | $2,056,185 CAD |
| Sale Type | Investment |
| No. Lots | 1 |
| Property Type | Land |
| Property Subtype | Commercial |
| Proposed Use | Retail |
| Total Lot Size | 1.00 AC |
| Zoning | PUD - Planned |
1 Lot Available
Lot
| Price | $2,056,185 CAD | Lot Size | 1.00 AC |
| Price Per AC | $2,056,185.01 CAD |
| Price | $2,056,185 CAD |
| Price Per AC | $2,056,185.01 CAD |
| Lot Size | 1.00 AC |
Located on the south side of 7 Mile Road, east of Main Street
1 1
Fairly walkable
40/100
Exceptionally drivable
100/100
Moderately bikeable
60/100
Property Taxes
| Parcel Number | 77-041-99-0002-004 | Improvements Assessment | $0 CAD |
| Land Assessment | $0 CAD | Total Assessment | $2,253,528 CAD |
Property Taxes
Parcel Number
77-041-99-0002-004
Land Assessment
$0 CAD
Improvements Assessment
$0 CAD
Total Assessment
$2,253,528 CAD
1 of 4
Videos
Matterport 3D Exterior
Matterport 3D Tour
Photos
Street View
Street
Map
1 of 1
Presented by
42261 7 Mile Rd - Retail
Already a member? Log In
Hmm, there seems to have been an error sending your message. Please try again.
Thanks! Your message was sent.
