Log In/Sign Up
Your email has been sent.
INVESTMENT HIGHLIGHTS
- High exposure, hard corner location
- Heart of Carmichael desirable location
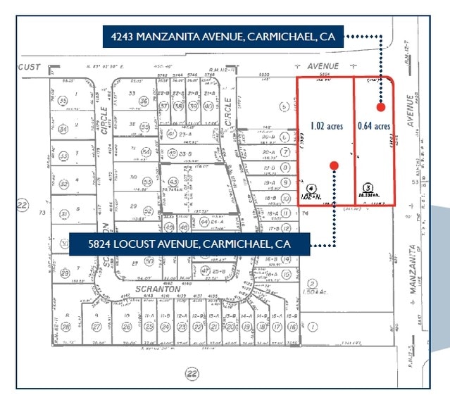
EXECUTIVE SUMMARY
Strategically positioned at a hard corner for maximum exposure, these parcels lie at the epicenter of Carmichael, a location highly sought-after for its community vibrance and commercial potential. Both wet and dry utilities are readily available on-site, simplifying the development process and reducing initial infrastructure costs
PROPERTY FACTS
| Sale Type | Investment | Property Subtype | Commercial |
| No. Lots | 1 | Proposed Use | Commercial |
| Property Type | Land | Total Lot Size | 1.66 AC |
| Zoning | LC - Limited Commercial | ||
| Sale Type | Investment |
| No. Lots | 1 |
| Property Type | Land |
| Property Subtype | Commercial |
| Proposed Use | Commercial |
| Total Lot Size | 1.66 AC |
| Zoning | LC - Limited Commercial |
1 LOT AVAILABLE
Lot
| Lot Size | 1.66 AC |
| Lot Size | 1.66 AC |
DESCRIPTION
Wet and dry utilities available
1 1
Walk Score®
Very Walkable (75)
Bike Score®
Very Bikeable (74)
PROPERTY TAXES
| Parcel Number | 230-0710-003 | Improvements Assessment | $52,217 CAD |
| Land Assessment | $131,976 CAD | Total Assessment | $184,193 CAD |
PROPERTY TAXES
Parcel Number
230-0710-003
Land Assessment
$131,976 CAD
Improvements Assessment
$52,217 CAD
Total Assessment
$184,193 CAD
1 of 4
VIDEOS
MATTERPORT 3D EXTERIOR
MATTERPORT 3D TOUR
PHOTOS
STREET VIEW
STREET
MAP
1 of 1
Presented by
4243 Manzanita Ave
Already a member? Log In
Hmm, there seems to have been an error sending your message. Please try again.
Thanks! Your message was sent.



