Log In/Sign Up
Your email has been sent.
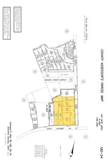
43 Middle Rincon Rd
Santa Rosa, CA 95409
Land For Sale
·
5.35 AC

Investment Highlights
- Ideally suited for townhouse or multifamily development or a mix of either with a commercial component.
- ±2.72 Acres Zoned R-1-6 (Low Density Residential)
- High traffic location with strong demographics
- ±2.63 Acres Zoned CG (General Commercial)
- Frontage on both Sonoma Highway and Middle Rincon Road
- Four Schools within 1.2 miles of the property
Property Facts
| Sale Type | Investment | Property Subtype | Commercial |
| No. Lots | 1 | Proposed Use | Retail |
| Property Type | Land | Total Lot Size | 5.35 AC |
| Zoning | C2 | ||
| Sale Type | Investment |
| No. Lots | 1 |
| Property Type | Land |
| Property Subtype | Commercial |
| Proposed Use | Retail |
| Total Lot Size | 5.35 AC |
| Zoning | C2 |
1 Lot Available
Lot
| Lot Size | 5.35 AC |
| Lot Size | 5.35 AC |
±5.35 Acre Development Opportunity in Santa Rosa, CA
Property Taxes
| Parcel Numbers | Improvements Assessment | $77,389 CAD | |
| Land Assessment | $5,535,488 CAD | Total Assessment | $5,612,876 CAD |
Property Taxes
Parcel Numbers
Land Assessment
$5,535,488 CAD
Improvements Assessment
$77,389 CAD
Total Assessment
$5,612,876 CAD
1 of 2
Videos
Matterport 3D Exterior
Matterport 3D Tour
Photos
Street View
Street
Map
