Log In/Sign Up
Your email has been sent.
4300 Bemiss
Valdosta, GA 31605
Bemiss Rd & Mulligan 1-acre Lot · Land For Sale
·
0.99 AC


Investment Highlights
- Almost 1 full acre, corner commercial lot, Bemiss Rd major corridor / artery, 372' total road frontage.
Executive Summary
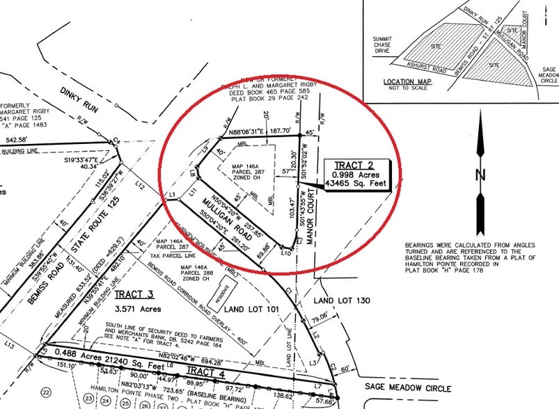
Excellent commercial corner lot WITH ALL-IMPORTANT MEDIAN CUT on busy, fast-growing major connector Bemiss Rd. Between Valdosta and Moody AFB. Good size and footprint, C-H zoning, abundant frontage (372') on two roads, County water and sewer nearby, high traffic ±25,000/day, lots of rooftops and businesses all around, with more on the way. Much new business activity is happening in this booming sub-market. Address estimated. Plat attached - Tract 2.
Property Facts
1 Lot Available
Lot
| Price | $541,035 CAD | Lot Size | 0.99 AC |
| Price Per AC | $546,500.44 CAD |
| Price | $541,035 CAD |
| Price Per AC | $546,500.44 CAD |
| Lot Size | 0.99 AC |
0.998-acre commercial corner lot with 372' total road frontage.
Property Taxes
| Parcel Number | 0146A-288 | Improvements Assessment | $0 CAD |
| Land Assessment | $95,880 CAD | Total Assessment | $95,880 CAD |
Property Taxes
Parcel Number
0146A-288
Land Assessment
$95,880 CAD
Improvements Assessment
$0 CAD
Total Assessment
$95,880 CAD
1 of 7
Videos
Matterport 3D Exterior
Matterport 3D Tour
Photos
Street View
Street
Map
