Log In/Sign Up
Your email has been sent.
Investment Highlights
- Utilities and curb cuts already in place
Executive Summary
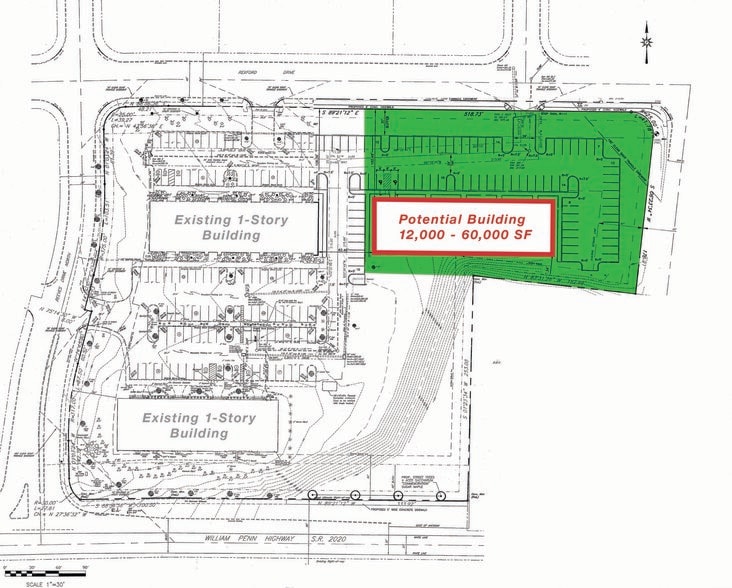
Fully approved for a single story 12,000 SF building with potential to build up to five-stories totaling 60,000 SF
Property Facts
| Sale Type | Investment | Property Subtype | Commercial |
| No. Lots | 1 | Proposed Use | Office |
| Property Type | Land | Total Lot Size | 1.40 AC |
| Zoning | OB - Office Business w/ Commercial Enhancement Overlay | ||
| Sale Type | Investment |
| No. Lots | 1 |
| Property Type | Land |
| Property Subtype | Commercial |
| Proposed Use | Office |
| Total Lot Size | 1.40 AC |
| Zoning | OB - Office Business w/ Commercial Enhancement Overlay |
1 Lot Available
Lot
| Lot Size | 1.40 AC |
| Lot Size | 1.40 AC |
1 1
Fairly walkable
40/100
Exceptionally drivable
100/100
Limited public transit
30/100
Fairly bikeable
40/100
1 of 4
Videos
Matterport 3D Exterior
Matterport 3D Tour
Photos
Street View
Street
Map
1 of 1
Presented by
4317 Easton Ave
Already a member? Log In
Hmm, there seems to have been an error sending your message. Please try again.
Thanks! Your message was sent.



