Your email has been sent.
4355 Duraform Ln 16,000 - 35,840 SF of Industrial Space Available in Windsor, WI 53598



Highlights
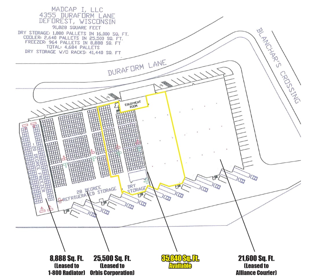
- 35,840-square-foot warehouse space with 30-foot clear height for superior storage and racking capability.
- Modern infrastructure with new LED lighting and wet/dry sprinkler system for safety and energy efficiency.
- Part of a 91,828-square-foot building alongside national tenants, including Alliance Courier, 1-800 Radiator, and Orbis Corporation.
- Features three 9’ x 10’ dock doors with levelers and pads for efficient loading and unloading.
- Equipped with gas-fired unit heaters and 200-amp, 208-volt, 3-phase electrical service to support industrial operations.
- Convenient access to major transportation routes, offering excellent regional connectivity for distribution and logistics users.
Features
All Available Spaces(2)
Display Rental Rate as
- Space
- Size
- Term
- Rental Rate
- Space Use
- Build-Out
- Available
Approximately 16,000 SF is available for lease within a 91,828 SF building, featuring 30’ clear height, two 9’x10’ dock doors with levelers and pads, new light fixtures, a wet/dry sprinkler system, gas-fired unit heaters, and 200 amp, 208 volt, 3-phase electrical service. Join national tenants like Alliance Courier, 1-800 Radiator, and Orbis Corporation at a lease rate of $5.95/SF NNN.
- Lease rate does not include utilities, property expenses or building services
- 1 Loading Dock
- Two 9’x10’ dock doors with levelers and pads
- Wet/dry sprinkler system
- 200 amp, 208 volt, 3-phase electrical service
- Can be combined with additional space(s) for up to 35,840 SF of adjacent space
- 30’ clear height
- New light fixtures
- Gas fi red unit heaters
Approximately 19,840 SF is available for lease within a 91,828 SF building, featuring 30’ clear height, two 9’x10’ dock doors with levelers and pads, new light fixtures, a wet/dry sprinkler system, gas-fired unit heaters, and 200 amp, 208 volt, 3-phase electrical service. Join national tenants like Alliance Courier, 1-800 Radiator, and Orbis Corporation at a lease rate of $5.95/SF NNN.
- Lease rate does not include utilities, property expenses or building services
- 2 Loading Docks
- Two 9’x10’ dock doors with levelers and pads
- Wet/dry sprinkler system
- 200 amp, 208 volt, 3-phase electrical service
- Can be combined with additional space(s) for up to 35,840 SF of adjacent space
- 30’ clear height
- New light fixtures
- Gas fired unit heaters
| Space | Size | Term | Rental Rate | Space Use | Build-Out | Available |
| 1st Floor | 16,000 SF | Negotiable | $8.20 CAD/SF/YR $0.68 CAD/SF/MO $131,138 CAD/YR $10,928 CAD/MO | Industrial | Shell Space | Now |
| 1st Floor | 19,840 SF | Negotiable | $8.20 CAD/SF/YR $0.68 CAD/SF/MO $162,611 CAD/YR $13,551 CAD/MO | Industrial | Full Build-Out | 30 Days |
1st Floor
| Size |
| 16,000 SF |
| Term |
| Negotiable |
| Rental Rate |
| $8.20 CAD/SF/YR $0.68 CAD/SF/MO $131,138 CAD/YR $10,928 CAD/MO |
| Space Use |
| Industrial |
| Build-Out |
| Shell Space |
| Available |
| Now |
1st Floor
| Size |
| 19,840 SF |
| Term |
| Negotiable |
| Rental Rate |
| $8.20 CAD/SF/YR $0.68 CAD/SF/MO $162,611 CAD/YR $13,551 CAD/MO |
| Space Use |
| Industrial |
| Build-Out |
| Full Build-Out |
| Available |
| 30 Days |
1st Floor
| Size | 16,000 SF |
| Term | Negotiable |
| Rental Rate | $8.20 CAD/SF/YR |
| Space Use | Industrial |
| Build-Out | Shell Space |
| Available | Now |
Approximately 16,000 SF is available for lease within a 91,828 SF building, featuring 30’ clear height, two 9’x10’ dock doors with levelers and pads, new light fixtures, a wet/dry sprinkler system, gas-fired unit heaters, and 200 amp, 208 volt, 3-phase electrical service. Join national tenants like Alliance Courier, 1-800 Radiator, and Orbis Corporation at a lease rate of $5.95/SF NNN.
- Lease rate does not include utilities, property expenses or building services
- Can be combined with additional space(s) for up to 35,840 SF of adjacent space
- 1 Loading Dock
- 30’ clear height
- Two 9’x10’ dock doors with levelers and pads
- New light fixtures
- Wet/dry sprinkler system
- Gas fi red unit heaters
- 200 amp, 208 volt, 3-phase electrical service
1st Floor
| Size | 19,840 SF |
| Term | Negotiable |
| Rental Rate | $8.20 CAD/SF/YR |
| Space Use | Industrial |
| Build-Out | Full Build-Out |
| Available | 30 Days |
Approximately 19,840 SF is available for lease within a 91,828 SF building, featuring 30’ clear height, two 9’x10’ dock doors with levelers and pads, new light fixtures, a wet/dry sprinkler system, gas-fired unit heaters, and 200 amp, 208 volt, 3-phase electrical service. Join national tenants like Alliance Courier, 1-800 Radiator, and Orbis Corporation at a lease rate of $5.95/SF NNN.
- Lease rate does not include utilities, property expenses or building services
- Can be combined with additional space(s) for up to 35,840 SF of adjacent space
- 2 Loading Docks
- 30’ clear height
- Two 9’x10’ dock doors with levelers and pads
- New light fixtures
- Wet/dry sprinkler system
- Gas fired unit heaters
- 200 amp, 208 volt, 3-phase electrical service
Property Overview
This 35,840-square-foot industrial space at 4355 Duraform Lane in DeForest, Wisconsin, offers a functional layout tailored for warehouse and distribution users. The building features an impressive 30-foot clear height, providing exceptional vertical storage capacity. Efficient loading capabilities include three 9’ x 10’ dock doors with levelers and pads, making it ideal for high-volume operations. The space is equipped with a wet/dry sprinkler system, new LED lighting throughout, and gas-fired unit heaters for controlled interior conditions. Power service includes 200 amps, 208 volts, and 3-phase electrical for diverse equipment needs. This property is part of a 91,828-square-foot building and is currently home to national tenants such as Alliance Courier, 1-800 Radiator, and Orbis Corporation, creating a well-established industrial environment. Conveniently positioned near major highways, the location offers excellent connectivity for regional distribution.
Refrigeration/Cold Storage Facility Facts
Select Tenants
- Floor
- Tenant Name
- Industry
- 1st
- Alliance Courier
- Services
- 1st
- Great Lakes Packaging
- Services
Presented by
4355 Duraform Ln
Hmm, there seems to have been an error sending your message. Please try again.
Thanks! Your message was sent.



