Your email has been sent.
43947 12th St W - Aurora Village Community Phase III 2 Acres of Residential Land Offered at $2,003,161 CAD in Lancaster, CA 93534



Investment Highlights
- Infill Development Site!
- Potential for 65 Apartment Units!
- Close to Antelope Valley Hospital
Executive Summary
Property Facts
| Price | $2,003,161 CAD | Property Subtype | Residential |
| Sale Type | Investment | Proposed Use | |
| No. Lots | 1 | Total Lot Size | 2.00 AC |
| Property Type | Land | Opportunity Zone |
Yes
|
| Zoning | MDR - Moderate Density Residential | ||
| Price | $2,003,161 CAD |
| Sale Type | Investment |
| No. Lots | 1 |
| Property Type | Land |
| Property Subtype | Residential |
| Proposed Use | |
| Total Lot Size | 2.00 AC |
| Opportunity Zone |
Yes |
| Zoning | MDR - Moderate Density Residential |
1 Lot Available
Lot
| Price | $2,003,161 CAD | Lot Size | 2.00 AC |
| Price Per AC | $1,001,580.53 CAD |
| Price | $2,003,161 CAD |
| Price Per AC | $1,001,580.53 CAD |
| Lot Size | 2.00 AC |
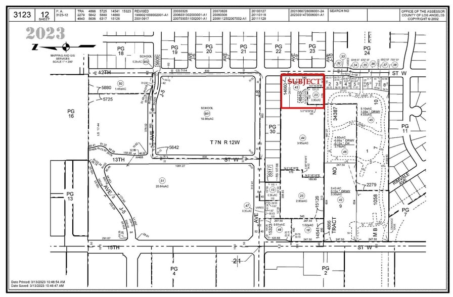
Unique, infill development site located on 12th St. W, south of Ave J-8, adjacent to Aurora Village II – a Senior Living 55+ apartment community. Potential for apartments (senior) or possible memory care facility, drug rehab center, assisted living.
Description
Unique, infill development site located on 12th Street W, south of Avenue J-8, adjacent to Aurora Village II – a Senior Living 55+ apartment community. Potential for apartments (senior) or possible memory care facility, drug rehab center, assisted living. Less than 1-mile from Antelope Valley Hospital and 1.5 miles to Downtown Lancaster. Shopping, medical/healthcare facilities and many local businesses nearby! Asking $1,485,000.
Property Taxes
| Parcel Numbers | Improvements Assessment | $0 CAD | |
| Land Assessment | $304,031 CAD | Total Assessment | $304,031 CAD |
Property Taxes
Presented by
43947 12th St W - Aurora Village Community Phase III
Hmm, there seems to have been an error sending your message. Please try again.
Thanks! Your message was sent.

