Log In/Sign Up
Your email has been sent.
Executive Summary
This property is great for QSR! Owner will consider owner financing.
Property Facts
| Price | $509,625 CAD | Proposed Use | Commercial |
| Sale Type | Investment | Total Lot Size | 0.09 AC |
| No. Lots | 1 | No. Stories | 1 |
| Property Type | Land | Opportunity Zone |
Yes
|
| Property Subtype | Commercial | ||
| Zoning | PUD-CM - Planned Unit Development Community | ||
| Price | $509,625 CAD |
| Sale Type | Investment |
| No. Lots | 1 |
| Property Type | Land |
| Property Subtype | Commercial |
| Proposed Use | Commercial |
| Total Lot Size | 0.09 AC |
| No. Stories | 1 |
| Opportunity Zone |
Yes |
| Zoning | PUD-CM - Planned Unit Development Community |
1 Lot Available
Lot
| Price | $509,625 CAD | Lot Size | 0.09 AC |
| Price Per AC | $5,549,838.15 CAD |
| Price | $509,625 CAD |
| Price Per AC | $5,549,838.15 CAD |
| Lot Size | 0.09 AC |
1 1
Property Taxes
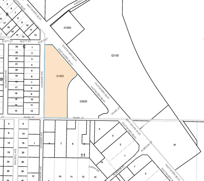
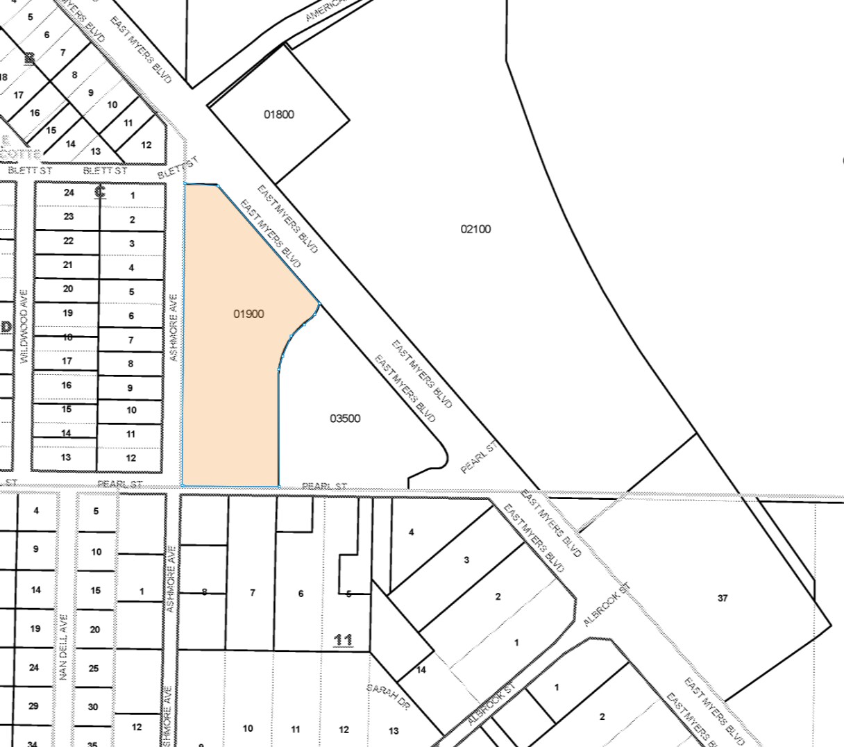
| Parcel Number | 14-22-24-0002-000-01900 | Improvements Assessment | $629,667 CAD |
| Land Assessment | $1,005,324 CAD | Total Assessment | $1,634,991 CAD |
Property Taxes
Parcel Number
14-22-24-0002-000-01900
Land Assessment
$1,005,324 CAD
Improvements Assessment
$629,667 CAD
Total Assessment
$1,634,991 CAD
1 of 2
Videos
Matterport 3D Exterior
Matterport 3D Tour
Photos
Street View
Street
Map
1 of 1
Presented by
441 E Myers Blvd
Already a member? Log In
Hmm, there seems to have been an error sending your message. Please try again.
Thanks! Your message was sent.

