Your email has been sent.
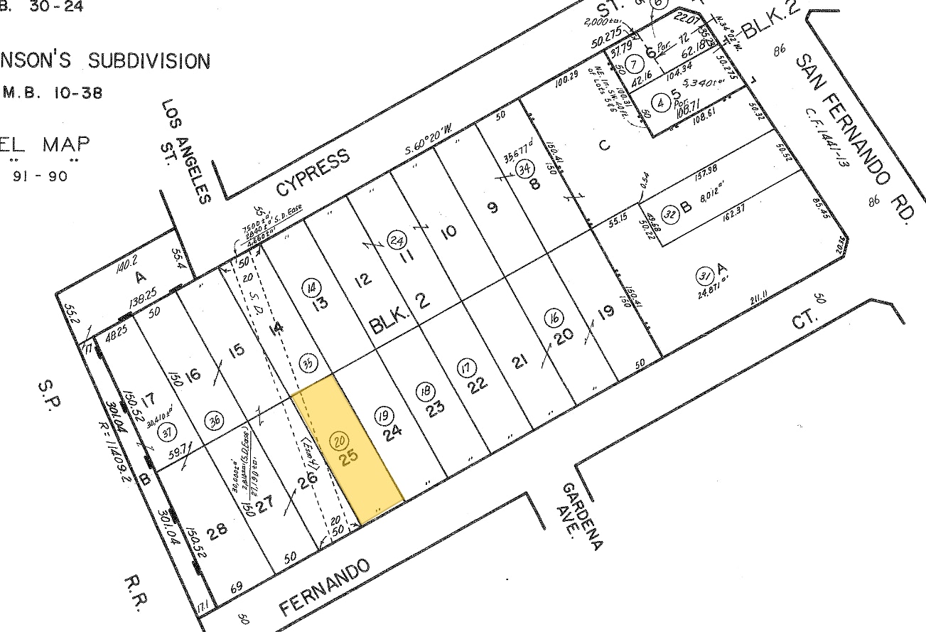
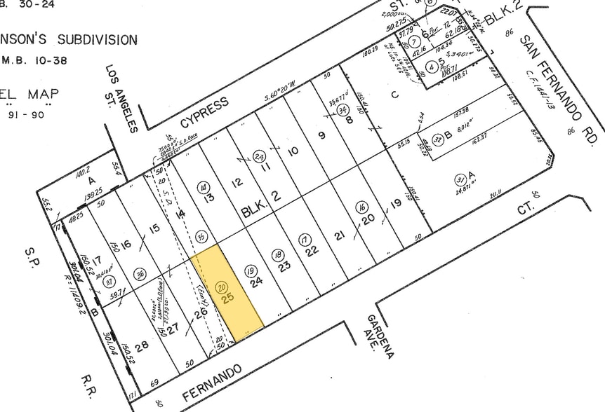
447 Fernando Ct 0.17 Acres of Commercial Land Offered at $3,300,960 CAD in Glendale, CA 91204

Investment Highlights
- Entitlement potential for up to 17 residential units per City of Glendale Planning.
- Close to major retail destinations including The Americana at Brand and Glendale Galleria.
- Walkable neighborhood with access to dining, shopping, and public transportation.
- Centrally located with quick access to CA-134 and I-5 freeways.
- Strong demand for multifamily housing in a high-growth submarket.
Executive Summary
According to the City of Glendale Planning Department, the property allows for the construction of up to 17 residential units, making it an attractive option for developers seeking to capitalize on strong housing demand in the area. The surrounding community features a mix of residential and commercial uses, creating a vibrant environment for future residents. Nearby amenities include The Americana at Brand, Glendale Galleria, and a variety of dining and cultural attractions.
Property Facts
| Price | $3,300,960 CAD | Property Subtype | Commercial |
| Sale Type | Investment | Proposed Use | |
| No. Lots | 1 | Total Lot Size | 0.17 AC |
| Property Type | Land | Year Built | 1960 |
| Zoning | GLM3YY | ||
| Price | $3,300,960 CAD |
| Sale Type | Investment |
| No. Lots | 1 |
| Property Type | Land |
| Property Subtype | Commercial |
| Proposed Use | |
| Total Lot Size | 0.17 AC |
| Year Built | 1960 |
| Zoning | GLM3YY |
1 Lot Available
Lot
| Price | $3,300,960 CAD | Lot Size | 0.17 AC |
| Price Per AC | $19,187,276.57 CAD |
| Price | $3,300,960 CAD |
| Price Per AC | $19,187,276.57 CAD |
| Lot Size | 0.17 AC |
Prime Glendale development site with City approval for up to 17 residential units. Excellent location near CA-134 and I-5, close to The Americana at Brand, shopping, dining, and transit. Strong demand for multifamily housing.
Description
447 Fernando Ct is a parcel located in Glendale, Los Angeles County, California. The site is positioned near the intersection of major transportation routes, including CA-134 and I-5. The surrounding area consists of mixed-use development with retail, residential, and commercial properties. The property is within proximity to regional shopping centers and cultural amenities.
Property Taxes
| Parcel Number | 5640-019-020 | Improvements Assessment | $180 CAD |
| Land Assessment | $862,533 CAD | Total Assessment | $862,713 CAD |
Property Taxes
Presented by
447 Fernando Ct
Hmm, there seems to have been an error sending your message. Please try again.
Thanks! Your message was sent.
