Log In/Sign Up
Your email has been sent.
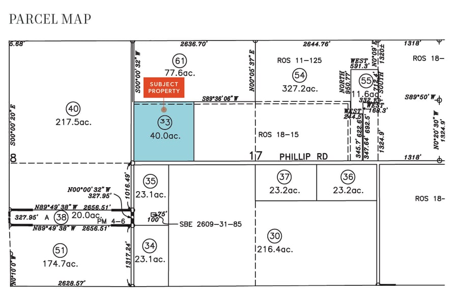
4485 S Brewer Rd - 40ac with SFR 40 Acres of Agricultural Land Offered at $4,133,400 CAD in Pleasant Grove, CA 95668


INVESTMENT HIGHLIGHTS
- ±40 Acre Square Parcel
- SFR onsite
- In path of growth for Placer County
EXECUTIVE SUMMARY
±40 Acre parcel for sale with single-family home. Not in Williamson Act.
PROPERTY FACTS
1 LOT AVAILABLE
Lot
| Price | $4,133,400 CAD | Lot Size | 40.00 AC |
| Price Per AC | $103,335.00 CAD |
| Price | $4,133,400 CAD |
| Price Per AC | $103,335.00 CAD |
| Lot Size | 40.00 AC |
Square parcel ±40 AC total
1 1
PROPERTY TAXES
| Parcel Number | 017-090-033 | Improvements Assessment | $92,358 CAD |
| Land Assessment | $1,154,662 CAD | Total Assessment | $1,247,020 CAD |
PROPERTY TAXES
Parcel Number
017-090-033
Land Assessment
$1,154,662 CAD
Improvements Assessment
$92,358 CAD
Total Assessment
$1,247,020 CAD
1 of 3
VIDEOS
MATTERPORT 3D EXTERIOR
MATTERPORT 3D TOUR
PHOTOS
STREET VIEW
STREET
MAP
1 of 1
Presented by
4485 S Brewer Rd - 40ac with SFR
Already a member? Log In
Hmm, there seems to have been an error sending your message. Please try again.
Thanks! Your message was sent.
