Log In/Sign Up
Your email has been sent.
Investment Highlights
- Close Proximity to Restaurants and Shopping Areas
- Property is Equipped with Gas, Water, Sewer, and Electricity
- Close Proximity to Recreational Facilities
Executive Summary
The land is zoned LRHI, offering flexibility for various types of businesses to include Retail Centers, Office Complexes, Restaurants and Cafes, Warehouses and Distribution Centers, and Industrial Facilities.
Property Facts In Escrow
| Price | $950,684 CAD | Property Subtype | Industrial |
| Sale Type | Investment or Owner User | Proposed Use | Industrial |
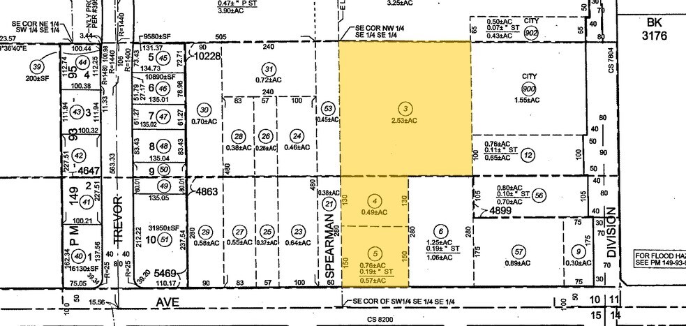
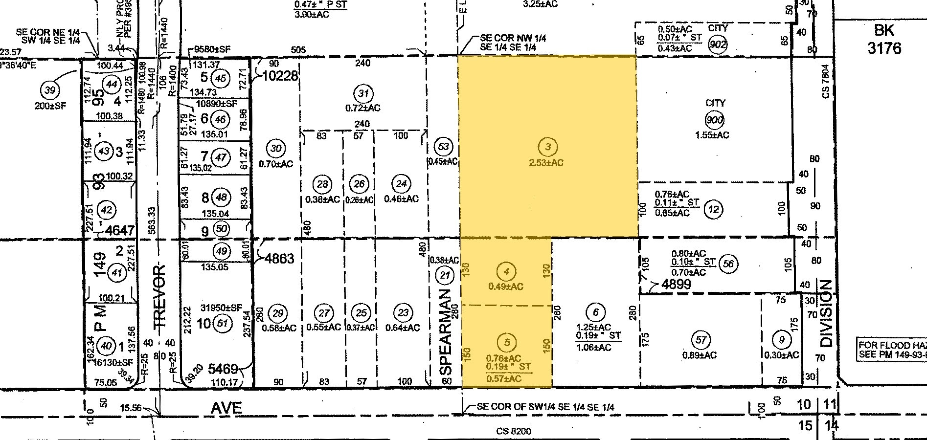
| No. Lots | 1 | Total Lot Size | 3.60 AC |
| Property Type | Land | Cross Streets | West Avenue I |
| Zoning | LRHI - Vacant Commercial Land | ||
| Price | $950,684 CAD |
| Sale Type | Investment or Owner User |
| No. Lots | 1 |
| Property Type | Land |
| Property Subtype | Industrial |
| Proposed Use | Industrial |
| Total Lot Size | 3.60 AC |
| Cross Streets | West Avenue I |
| Zoning | LRHI - Vacant Commercial Land |
1 Lot Available
Lot 3,4,5
| Price | $950,684 CAD | Lot Size | 3.60 AC |
| Price Per AC | $264,078.88 CAD |
| Price | $950,684 CAD |
| Price Per AC | $264,078.88 CAD |
| Lot Size | 3.60 AC |
3 separate parcels spanning nearly 160,000sf (3.6 acres) of opportunistic land.
Description
Vacant Commercial Land
1 1
Property Taxes
| Parcel Numbers | Improvements Assessment | $0 CAD | |
| Land Assessment | $280,877 CAD | Total Assessment | $280,877 CAD |
Property Taxes
Parcel Numbers
Land Assessment
$280,877 CAD
Improvements Assessment
$0 CAD
Total Assessment
$280,877 CAD
1 of 4
Videos
Matterport 3D Exterior
Matterport 3D Tour
Photos
Street View
Street
Map
1 of 1
Presented by
45335 Spearman Ave
Already a member? Log In
Hmm, there seems to have been an error sending your message. Please try again.
Thanks! Your message was sent.



