Log In/Sign Up
Your email has been sent.
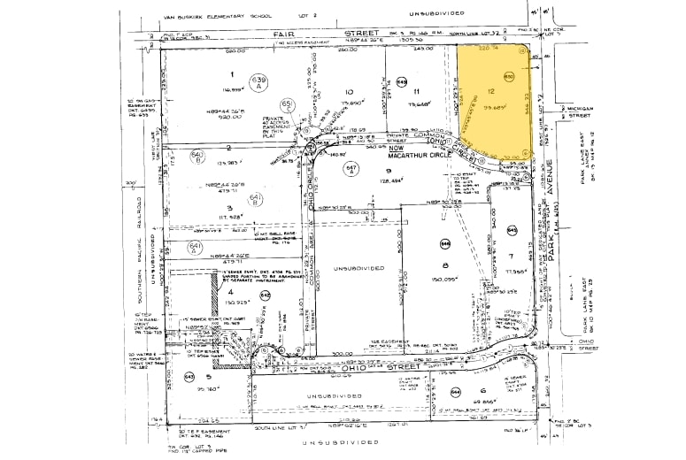
4550 S Park Ave - SWC Park Ave & Fair St 2.15 Acres of Industrial Land Offered at $811,723 CAD in Tucson, AZ 85714



Investment Highlights
- Property is at signalized intersection.
- Excellent access and visibility
- Approximately 1 mile south of Marketplace at the Bridges, a regional shopping center hub
Property Facts
| Price | $811,723 CAD | Property Subtype | Industrial |
| Sale Type | Investment | Proposed Use | |
| No. Lots | 1 | Total Lot Size | 2.15 AC |
| Property Type | Land | Opportunity Zone |
Yes
|
| Zoning | I-1, Tucson - I-1 Light Industrial | ||
| Price | $811,723 CAD |
| Sale Type | Investment |
| No. Lots | 1 |
| Property Type | Land |
| Property Subtype | Industrial |
| Proposed Use | |
| Total Lot Size | 2.15 AC |
| Opportunity Zone |
Yes |
| Zoning | I-1, Tucson - I-1 Light Industrial |
1 Lot Available
Lot
| Price | $811,723 CAD | Lot Size | 2.15 AC |
| Price Per AC | $377,422.62 CAD |
| Price | $811,723 CAD |
| Price Per AC | $377,422.62 CAD |
| Lot Size | 2.15 AC |
Signalized corner Excellent access and visibility Two parcels: 4550 S Park and 975 Macarthur
Description
Approximately 1 mile south of Marketplace at the Bridges, a regional shopping center hub for South and Central Tucson. Signalized corner Excellent access and visibility
1 1
Fairly walkable
40/100
Exceptionally drivable
90/100
Limited public transit
30/100
Fairly bikeable
50/100
1 of 5
Videos
Matterport 3D Exterior
Matterport 3D Tour
Photos
Street View
Street
Map
1 of 1
Presented by
4550 S Park Ave - SWC Park Ave & Fair St
Already a member? Log In
Hmm, there seems to have been an error sending your message. Please try again.
Thanks! Your message was sent.
