Your email has been sent.
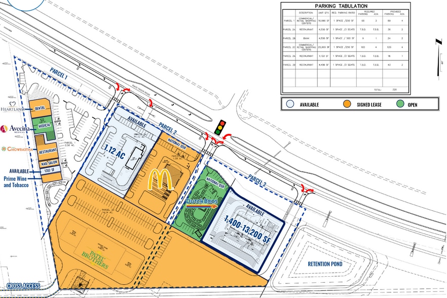
Shops at Race Track 4560 Race Track Rd 1,133 - 4,653 SF of Retail Space Available in Jacksonville, FL 32259



Highlights
- Future signalized intersection with excellent visibility
- Outparcels Available for Ground Lease or Build To Suit from 1 -7 AC
- Mixed-use development with pad sites available
- Contact Scott Giles 407.221.58551 sgiles@atlanticretail.com or Mara Frumkin 407.919.6970 mfrumkin@atlanticretail.com
Space Availability (3)
Display Rental Rate as
- Space
- Size
- Term
- Rental Rate
- Rent Type
| Space | Size | Term | Rental Rate | Rent Type | ||
| 1st Floor, Ste Parcel 1 Unit | 1,357-1,500 SF | Negotiable | Upon Request Upon Request Upon Request Upon Request | Negotiable | ||
| 1st Floor, Ste Parcel 2A | 2,020 SF | 5-10 Years | Upon Request Upon Request Upon Request Upon Request | Triple Net (NNN) | ||
| 1st Floor, Ste Parcel 3B | 1,133 SF | 5-10 Years | Upon Request Upon Request Upon Request Upon Request | Triple Net (NNN) |
4630 Race Track Rd - 1st Floor - Ste Parcel 1 Unit
Located in the epicenter of Durbin Park, a mixed-use development consisting of 2.4 million square feet retail space, 2.8 million SF office space, 1,000 multi-family units, and 350 hotel rooms including Flagler + UF Health campus.
4560B Race Track Rd - 1st Floor - Ste Parcel 2A
Join national QSR’s at this grocery-anchored development
- Lease rate does not include utilities, property expenses or building services
- Space is an outparcel at this property
- Shop Space and Retail Pad Sites Available
4560A Race Track Rd - 1st Floor - Ste Parcel 3B
Join national QSR’s at this grocery-anchored development
- Lease rate does not include utilities, property expenses or building services
- Space is an outparcel at this property
- Shop Space and Retail Pad Sites Available
Rent Types
The rent amount and type that the tenant (lessee) will be responsible to pay to the landlord (lessor) throughout the lease term is negotiated prior to both parties signing a lease agreement. The rent type will vary depending upon the services provided. For example, triple net rents are typically lower than full service rents due to additional expenses the tenant is required to pay in addition to the base rent. Contact the listing broker for a full understanding of any associated costs or additional expenses for each rent type.
1. Full Service: A rental rate that includes normal building standard services as provided by the landlord within a base year rental.
2. Double Net (NN): Tenant pays for only two of the building expenses; the landlord and tenant determine the specific expenses prior to signing the lease agreement.
3. Triple Net (NNN): A lease in which the tenant is responsible for all expenses associated with their proportional share of occupancy of the building.
4. Modified Gross: Modified Gross is a general type of lease rate where typically the tenant will be responsible for their proportional share of one or more of the expenses. The landlord will pay the remaining expenses. See the below list of common Modified Gross rental rate structures: 4. Plus All Utilities: A type of Modified Gross Lease where the tenant is responsible for their proportional share of utilities in addition to the rent. 4. Plus Cleaning: A type of Modified Gross Lease where the tenant is responsible for their proportional share of cleaning in addition to the rent. 4. Plus Electric: A type of Modified Gross Lease where the tenant is responsible for their proportional share of the electrical cost in addition to the rent. 4. Plus Electric & Cleaning: A type of Modified Gross Lease where the tenant is responsible for their proportional share of the electrical and cleaning cost in addition to the rent. 4. Plus Utilities and Char: A type of Modified Gross Lease where the tenant is responsible for their proportional share of the utilities and cleaning cost in addition to the rent. 4. Industrial Gross: A type of Modified Gross lease where the tenant pays one or more of the expenses in addition to the rent. The landlord and tenant determine these prior to signing the lease agreement.
5. Tenant Electric: The landlord pays for all services and the tenant is responsible for their usage of lights and electrical outlets in the space they occupy.
6. Negotiable or Upon Request: Used when the leasing contact does not provide the rent or service type.
7. TBD: To be determined; used for buildings for which no rent or service type is known, commonly utilized when the buildings are not yet built.
Property Facts
| Total Space Available | 4,653 SF | Center Properties | 7 |
| Min. Divisible | 1,133 SF | Gross Leasable Area | 23,941 SF |
| Center Type | Strip Center | Total Land Area | 29.59 AC |
| Stores | 0 | Year Built | 2026 |
| Total Space Available | 4,653 SF |
| Min. Divisible | 1,133 SF |
| Center Type | Strip Center |
| Stores | 0 |
| Center Properties | 7 |
| Gross Leasable Area | 23,941 SF |
| Total Land Area | 29.59 AC |
| Year Built | 2026 |
About the Property
Outparcels Available for Ground Lease or Build To Suite from 1 - 7 AC Located in the epicenter of Durbin Park, a mixed-use development consisting of 2.4 million square feet retail space, 2.8 million SF office space, 1,000 multi-family units, and 350 hotel rooms including Flagler + UF Health campus. The 13-acre, mixed-use development offers a series of outparcels, ground leases, build-to-suit, and sale opportunities at a signalized intersection which benefits from a steady flow of traffic that includes 30,509 vehicles that pass by the nearby intersection of Race Track Road and Bartram Park Boulevard N. The site is perfectly located at the epicenter of Durbin Park, a mixed-use development consisting of 2,400,000 square feet of retail space, 2,800,000 square feet of office space, 1,000 multi-family units, and 350 hotel rooms, including Flagler Health+ and UF Health campus. Businesses and investors will find that the property benefits from proximity to a retail hub headlined by Walmart Supercenter, Publix Super Market, The Home Depot, Aldi, Ross Dress for Less, and a Cinemark Theater, which are all within a mile the site. This district is buoyed by $1.3 billion of total consumer spending and an average household income of $128,932 within a five-mile radius, and these enviable demographics are expected to rise as the area is projected to see an annual growth in population of 2.7%. Additionally, the proximity to I-95, which is within a four-minute drive and connects to downtown Jacksonville to the north in 24 minutes, is a boon a myriad of businesses looking for sustained inflows of consumers in a consistently growing and affluent locale. A Hunington project: https://www.hpiproperties.com Contact Scott Giles 407.221.58551 sgiles@atlanticretail.com or Mara Frumkin 407.919.6970 mfrumkin@atlanticretail.com
Nearby Major Retailers
Presented by
Shops at Race Track | 4560 Race Track Rd
Hmm, there seems to have been an error sending your message. Please try again.
Thanks! Your message was sent.
