Log In/Sign Up
Your email has been sent.
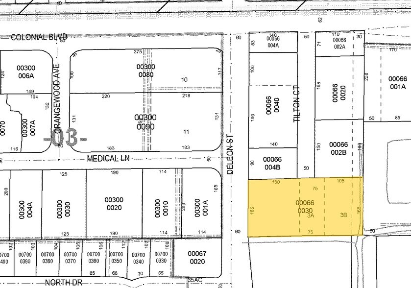
4561-4568 Tilton Ct
Fort Myers, FL 33907
Multifamily Self Storage · Land For Sale
·
2.50 AC


Executive Summary
Three parcels of land for storage facility multifamily etc. Direct access to Deleon Court and the Colonial traffic signal.
Property Facts
1 Lot Available
Lot
| Price | $1,696,250 CAD | Lot Size | 2.50 AC |
| Price Per AC | $678,500.00 CAD |
| Price | $1,696,250 CAD |
| Price Per AC | $678,500.00 CAD |
| Lot Size | 2.50 AC |
Prime location for Multifamily or Self Storage warehouses.
Property Taxes
| Parcel Number | 02-45-24-P2-00066.003A | Improvements Assessment | $0 CAD |
| Land Assessment | $238,276 CAD | Total Assessment | $238,276 CAD |
Property Taxes
Parcel Number
02-45-24-P2-00066.003A
Land Assessment
$238,276 CAD
Improvements Assessment
$0 CAD
Total Assessment
$238,276 CAD
1 of 15
Videos
Matterport 3D Exterior
Matterport 3D Tour
Photos
Street View
Street
Map
